Продан
IAAI lot #44254859
2020 Nissan Murano 3.5L
VIN: 5N1AZ2CJ8LN171365 · Wilmer, TX, 75172 · TX Original
Фотографии
Основные данные
Повреждение
Front End
Тип кузова
Sport Utility
Топливо
Gas
Привод
Front Wheel Drive
Коробка
Automatic
Подушки
Deployed
Ключи
Y
Продавец
******
Основное
Лот
44 254 859
Сток номер
44 254 859
Название
2020 Nissan Murano 3.5L
Год
2 020
Марка
Nissan
Модель
Murano
Комплектация
SL FWD
VIN
5N1AZ2CJ8LN171365
Тип транспорта
Truck
Тип кузова
Sport Utility
Цвет кузова
Burgundy
Цвет салона
Black
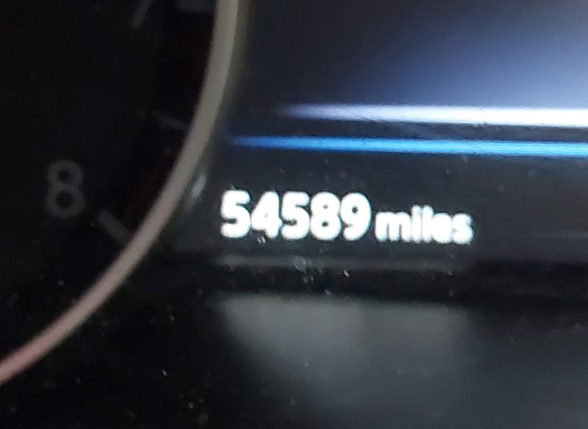
Пробег
54 589 mi
Статус пробега
Actual
Аукцион и ставки
Статус
Продан
Тип аукциона
Preliminary Bidding
Тип продажи
1
Дата торгов
Wed, Apr 22, 07:30am (PDT)
Осталось времени
10 ч. 18 мин. 6 сек.
Текущая ставка
2 550 USD
Розничная цена
18 678 USD
Оценка ремонта
0 USD
ACV
18 678 USD
Линия
A
Номер позиции
65
Состояние и повреждения
Повреждение
Front End
Основное повреждение
Front End
Тип ущерба
Collision
Состояние запуска
Run & Drive Verified
Проверка аукционом
NOT SPECIFIED
Подушки безопасности
Deployed
Ключи
Y
Документы
Штат тайтла
Texas
Тип тайтла
Original
Документ
TX Original
Технические характеристики
Двигатель
3.5L V-6 DOHC, VVT, 260HP
Цилиндры
6
Трансмиссия
Automatic
Привод
Front Wheel Drive
Топливо
Gas
Класс транспорта
SUV/Crossover
Серия
Sl Fwd
Тип кузова по VIN
Sport Utility
Локация и площадка
Город
Wilmer
Штат
TX
ZIP
75172
Адрес
204 Mars Rd.
Площадка аукциона
Dallas, 204 Mars Rd., Wilmer, TX, 75172
Продающий филиал
Dallas, TX
Физическая площадка
Да
Хранение вне площадки
Нет
Дополнительно
В избранном
Нет
Обновлено
Wed, Apr 22, 05:22pm (PDT)