2021 SUBARU CROSSTREK SPORT

Текущая ставка: Нет ставки
Лот #288670809
  • Основные характеристики
  • Лот: 288670809
  • Сток номер: 44095454
  • Название лота: 2021 SUBARU CROSSTREK SPORT
  • Год: 2021
  • Марка: SUBARU
  • Модель: CROSSTREK
  • Комплектация: SPORT
  • VIN: JF2GTHSC3MH659971
  • Тип транспорта: CAR
  • Тип кузова: SPORT UTILITY
  • Цвет: Light Blue
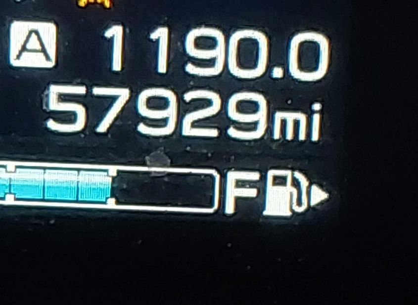
  • Пробег: 57929 mi
  • Технические характеристики
  • Цилиндры: 4 Cyl
  • Тип привода: All Wheel Drive
  • Топливо: Gasoline
  • Коробка передач: Automatic
  • Состояние запуска: Run & Drive
  • Системы безопасности: Front Impact Airbag Driver;front Side Impact Airbag Driver;overhead Airbags;front Impact A
  • Пробег
  • Пробег: 57929
  • Единицы измерения: mi
  • Статус пробега: ACTUAL
  • Внешний вид
  • Цвет: Light Blue
  • Состояние автомобиля
  • Состояние запуска: Run & Drive
  • Проверка аукционом: Run & Drive Verified
  • Ключ: Y
  • Подушки безопасности: DEPLOYED
  • Тип ущерба: Collision
  • Основное повреждение: Right Side
  • Вторичное повреждение: Suspension
  • Повреждения (кратко): RIGHT SIDE
  • Информация о ставке
  • Текущая ставка: USD 0
  • Валюта: USD
  • Buy Now: 0
  • Информация о продаже
  • Тип аукциона: Preliminary Bidding
  • Дата торгов: Thu, Mar 26, 08:30am (PDT)
  • Дата торгов (raw): 2026-03-26 08:30:00.000000
  • Местоположение
  • Город: OGDEN
  • Штат: UT
  • ZIP: 84401
  • Адрес: 1800 SOUTH 1100 WEST
  • Площадка аукциона: Salt Lake City, 1800 South 1100 West, Ogden, UT, 84401, 801-399-2818
  • Продающий филиал: Salt Lake City, UT
  • Физическая площадка: Да
  • Хранение вне площадки: Нет
  • Урон
  • Повреждение: RIGHT SIDE
  • Первичный урон: Right Side
  • Вторичный урон: Suspension
  • Тип ущерба: Collision
  • Документы
  • Штат тайтла: UT
  • Штат регистрации: Utah
  • Тип тайтла: SALVAGE
  • Документ: UT SALVAGE
  • Финансы и аукцион
  • Рыночная стоимость: 12956
  • Оценка ремонта: 12251
  • Оценка до аварии: 12956
  • Валюта: USD
  • Текущая ставка: 0
  • Тип продажи: 1
  • Тип торгов: Preliminary Bidding
  • Торги идут: Нет
  • Продан: Да
  • Дата и статус торгов
  • Дата аукциона: Thu, Mar 26, 08:30am (PDT)
  • Время до начала: 12 дн. 20 ч. 46 мин. 26 сек.
  • Номер лота: 0
  • Дополнительно
  • В избранном: Нет
  • Обновлено: Tue, Mar 24, 01:32am (PDT)
Видео
360° обзор
НУЖНО БОЛЬШЕ ИНФОРМАЦИИ? Позвоните сейчас
+7 (937) 390-5551 or Whatsapp Telegram Viber