2016 TOYOTA SIENNA L 7 PASSENGER

Текущая ставка: Нет ставки
Лот #289319200
  • Основные характеристики
  • Лот: 289319200
  • Сток номер: 44406940
  • Название лота: 2016 TOYOTA SIENNA L 7 PASSENGER
  • Год: 2016
  • Марка: TOYOTA
  • Модель: SIENNA
  • Комплектация: L 7 PASSENGER
  • VIN: 5TDZK3DC9GS744484
  • Тип транспорта: CAR
  • Тип кузова: PASSENGER VAN
  • Цвет: Gray
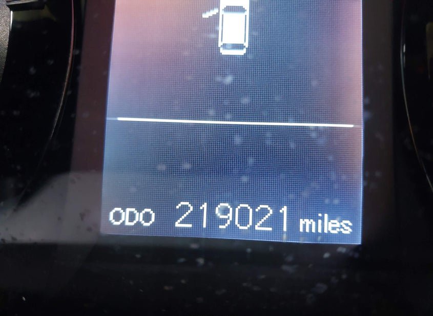
  • Пробег: 219021 mi
  • Технические характеристики
  • Цилиндры: 6 Cyl
  • Тип привода: Front Wheel Drive
  • Топливо: Gasoline
  • Коробка передач: Automatic
  • Цвет салона: Gray
  • Состояние запуска: Stationary
  • Системы безопасности: Cushion Airbag;knee Airbag;front Side Impact Airbag Passenger;front Impact Airbag Passenger
  • Пробег
  • Пробег: 219021
  • Единицы измерения: mi
  • Статус пробега: ACTUAL
  • Внешний вид
  • Цвет: Gray
  • Состояние автомобиля
  • Состояние запуска: Stationary
  • Проверка аукционом: NOT SPECIFIED
  • Ключ: N
  • Подушки безопасности: INTACT
  • Тип ущерба: Collision
  • Основное повреждение: Front End
  • Вторичное повреждение: Left & Right Side
  • Повреждения (кратко): FRONT END
  • Информация о ставке
  • Текущая ставка: USD 0
  • Валюта: USD
  • Buy Now: 1550
  • Информация о продаже
  • Тип аукциона: Preliminary Bidding
  • Дата торгов: Fri, Apr 3, 06:30am (PDT)
  • Дата торгов (raw): 2026-04-03 06:30:00.000000
  • Местоположение
  • Город: ASHLAND
  • Штат: VA
  • ZIP: 23005
  • Адрес: 10390 SADISCO DRIVE
  • Площадка аукциона: Richmond, 10390 Sadisco Drive, Ashland, VA, 23005, 804-798-6091
  • Продающий филиал: Richmond, VA
  • Физическая площадка: Да
  • Хранение вне площадки: Нет
  • Урон
  • Повреждение: FRONT END
  • Первичный урон: Front End
  • Вторичный урон: Left & Right Side
  • Тип ущерба: Collision
  • Документы
  • Штат тайтла: VA
  • Штат регистрации: Virginia
  • Тип тайтла: CLEAR
  • Документ: VA CLEAR
  • Финансы и аукцион
  • Рыночная стоимость: 7949
  • Оценка до аварии: 7949
  • Валюта: USD
  • Текущая ставка: 0
  • Тип продажи: 1
  • Тип торгов: Preliminary Bidding
  • Торги идут: Нет
  • Продан: Да
  • Дата и статус торгов
  • Дата аукциона: Fri, Apr 3, 06:30am (PDT)
  • Время до начала: 18 ч. 54 мин. 19 сек.
  • Линия: B
  • Номер лота: 30
  • Дополнительно
  • В избранном: Нет
  • Обновлено: Fri, Apr 3, 08:16pm (PDT)
360° обзор
НУЖНО БОЛЬШЕ ИНФОРМАЦИИ? Позвоните сейчас
+7 (937) 390-5551 or Whatsapp Telegram Viber