2021 PORSCHE CAYENNE

Текущая ставка: 25 USD
Лот #300086521
  • Основные характеристики
  • Лот: 300086521
  • Сток номер: 44507537
  • Название лота: 2021 PORSCHE CAYENNE
  • Год: 2021
  • Марка: PORSCHE
  • Модель: CAYENNE
  • VIN: WP1AA2AY9MDA05020
  • Тип транспорта: CAR
  • Тип кузова: SPORT UTILITY
  • Цвет: Blue
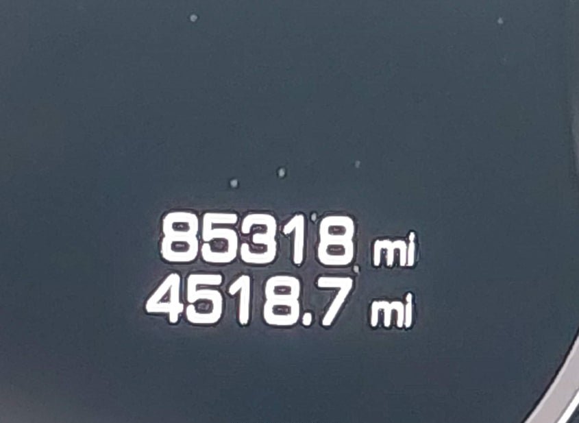
  • Пробег: 85318 mi
  • Технические характеристики
  • Цилиндры: 6 Cyl
  • Тип привода: All Wheel Drive
  • Топливо: Gasoline
  • Коробка передач: Automatic
  • Состояние запуска: Run & Drive
  • Системы безопасности: Front Impact Airbag Driver;front Side Impact Airbag Driver;overhead Airbags;front Impact A
  • Пробег
  • Пробег: 85318
  • Единицы измерения: mi
  • Статус пробега: ACTUAL
  • Внешний вид
  • Цвет: Blue
  • Состояние автомобиля
  • Состояние запуска: Run & Drive
  • Проверка аукционом: Run & Drive Verified
  • Ключ: Y
  • Подушки безопасности: INTACT
  • Тип ущерба: Collision
  • Основное повреждение: Front End
  • Повреждения (кратко): FRONT END
  • Информация о ставке
  • Текущая ставка: USD 25
  • Валюта: USD
  • Buy Now: 19550
  • Информация о продаже
  • Тип аукциона: Buy It Now / Preliminary Bidding
  • Дата торгов: Wed, Mar 25, 06:30am (PDT)
  • Дата торгов (raw): 2026-03-25 06:30:00.000000
  • Местоположение
  • Город: MORGANVILLE
  • Штат: NJ
  • ZIP: 07751
  • Адрес: 426 TEXAS ROAD
  • Площадка аукциона: Central New Jersey, 426 Texas Road, Morganville, NJ, 07751, 732-591-8173
  • Продающий филиал: Central New Jersey, NJ
  • Физическая площадка: Да
  • Хранение вне площадки: Нет
  • Урон
  • Повреждение: FRONT END
  • Первичный урон: Front End
  • Тип ущерба: Collision
  • Документы
  • Штат тайтла: ID
  • Штат регистрации: Idaho
  • Тип тайтла: SALVAGE
  • Документ: ID SALVAGE
  • Финансы и аукцион
  • Рыночная стоимость: 28027
  • Оценка ремонта: 29216
  • Оценка до аварии: 28027
  • Валюта: USD
  • Текущая ставка: 25
  • Тип продажи: 2
  • Тип торгов: Buy It Now / Preliminary Bidding
  • Торги идут: Нет
  • Продан: Нет
  • Дата и статус торгов
  • Дата аукциона: Wed, Mar 25, 06:30am (PDT)
  • Время до начала: 4 дн. 10 ч. 2 мин. 16 сек.
  • Дополнительно
  • В избранном: Нет
  • Обновлено: Fri, Mar 20, 08:26pm (PDT)
Видео
360° обзор
НУЖНО БОЛЬШЕ ИНФОРМАЦИИ? Позвоните сейчас
+7 (937) 390-5551 or Whatsapp Telegram Viber