2024 SUBARU CROSSTREK PREMIUM

Текущая ставка: 525 USD
Лот #327797494
  • Основные характеристики
  • Лот: 327797494
  • Сток номер: 44419064
  • Название лота: 2024 SUBARU CROSSTREK PREMIUM
  • Год: 2024
  • Марка: SUBARU
  • Модель: CROSSTREK
  • Комплектация: PREMIUM
  • VIN: JF2GUADC5R8376920
  • Тип транспорта: CAR
  • Тип кузова: SPORT UTILITY
  • Цвет: White
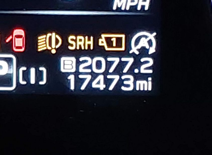
  • Пробег: 17473 mi
  • Технические характеристики
  • Цилиндры: 4 Cyl
  • Тип привода: All Wheel Drive
  • Топливо: Gasoline
  • Коробка передач: Automatic
  • Состояние запуска: Run & Drive
  • Системы безопасности: Front Impact Airbag Driver;front Side Impact Airbag Driver;overhead Airbags;front Impact A
  • Пробег
  • Пробег: 17473
  • Единицы измерения: mi
  • Статус пробега: ACTUAL
  • Внешний вид
  • Цвет: White
  • Состояние автомобиля
  • Состояние запуска: Run & Drive
  • Проверка аукционом: Run & Drive Verified
  • Ключ: Y
  • Подушки безопасности: INTACT
  • Тип ущерба: Collision
  • Основное повреждение: Front End
  • Повреждения (кратко): FRONT END
  • Информация о ставке
  • Текущая ставка: USD 525
  • Валюта: USD
  • Информация о продаже
  • Тип аукциона: Preliminary Bidding
  • Дата торгов: Wed, Apr 8, 07:30am (PDT)
  • Дата торгов (raw): 2026-04-08 07:30:00.000000
  • Местоположение
  • Город: SAINT PAUL
  • Штат: MN
  • ZIP: 55117
  • Адрес: 1280 JACKSON STREET
  • Площадка аукциона: Minneapolis/St. Paul, 1280 Jackson Street, Saint Paul, MN, 55117, 651-488-0581
  • Продающий филиал: Minneapolis/St. Paul, MN
  • Физическая площадка: Да
  • Хранение вне площадки: Нет
  • Урон
  • Повреждение: FRONT END
  • Первичный урон: Front End
  • Тип ущерба: Collision
  • Документы
  • Штат тайтла: MN
  • Штат регистрации: Minnesota
  • Тип тайтла: SALVAGE
  • Документ: MN SALVAGE
  • Финансы и аукцион
  • Рыночная стоимость: 23586
  • Оценка ремонта: 19871
  • Оценка до аварии: 23586
  • Валюта: USD
  • Текущая ставка: 525
  • Тип продажи: 1
  • Тип торгов: Preliminary Bidding
  • Торги идут: Нет
  • Продан: Нет
  • Дата и статус торгов
  • Дата аукциона: Wed, Apr 8, 07:30am (PDT)
  • Время до начала: 4 дн. 5 ч. 31 мин. 22 сек.
  • Номер лота: 0
  • Дополнительно
  • В избранном: Нет
  • Обновлено: Fri, Apr 3, 11:12pm (PDT)
Видео
360° обзор
НУЖНО БОЛЬШЕ ИНФОРМАЦИИ? Позвоните сейчас
+7 (937) 390-5551 or Whatsapp Telegram Viber