2017 SUBARU OUTBACK 2.5I PREMIUM

Текущая ставка: Нет ставки
Лот #331859029
  • Основные характеристики
  • Лот: 331859029
  • Сток номер: 43760510
  • Название лота: 2017 SUBARU OUTBACK 2.5I PREMIUM
  • Год: 2017
  • Марка: SUBARU
  • Модель: OUTBACK
  • Комплектация: 2.5I PREMIUM
  • VIN: 4S4BSAHC8H3347394
  • Тип транспорта: CAR
  • Тип кузова: SPORT UTILITY
  • Цвет: Red
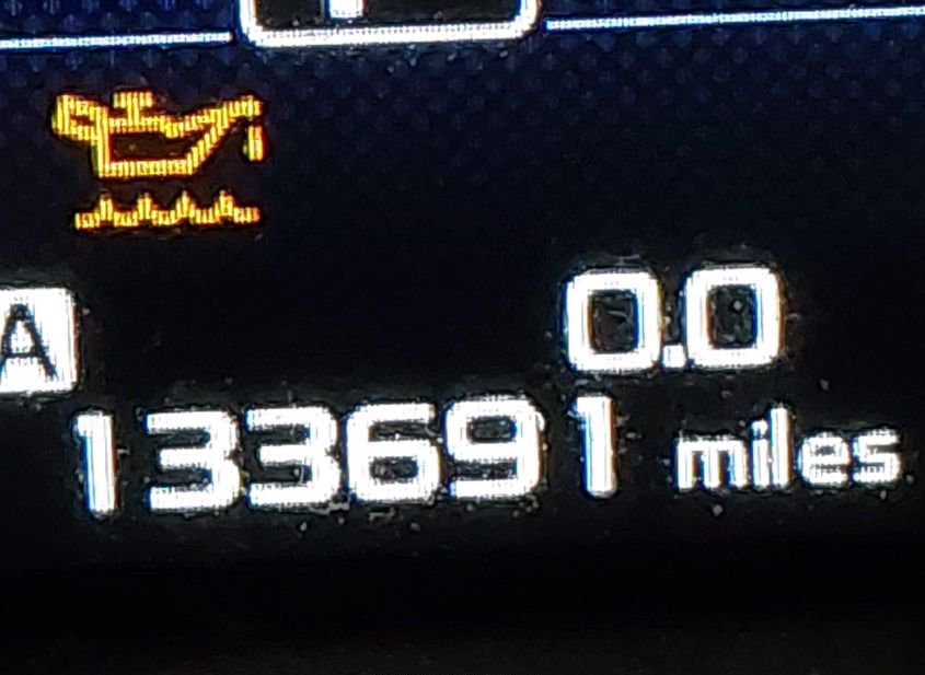
  • Пробег: 133691 mi
  • Технические характеристики
  • Цилиндры: 4 Cyl
  • Тип привода: All Wheel Drive
  • Топливо: Gasoline
  • Коробка передач: Automatic
  • Цвет салона: Black
  • Состояние запуска: Run & Drive
  • Системы безопасности: Front Impact Airbag Driver;front Side Impact Airbag Driver;overhead Airbags;front Impact A
  • Пробег
  • Пробег: 133691
  • Единицы измерения: mi
  • Статус пробега: ACTUAL
  • Внешний вид
  • Цвет: Red
  • Состояние автомобиля
  • Состояние запуска: Run & Drive
  • Проверка аукционом: Run & Drive Verified
  • Ключ: Y
  • Подушки безопасности: DEPLOYED
  • Тип ущерба: Other
  • Основное повреждение: Front End
  • Вторичное повреждение: Left Front
  • Повреждения (кратко): FRONT END
  • Информация о ставке
  • Текущая ставка: USD 0
  • Валюта: USD
  • Информация о продаже
  • Тип аукциона: Preliminary Bidding
  • Дата торгов: Wed, Apr 8, 07:30am (PDT)
  • Дата торгов (raw): 2026-04-08 07:30:00.000000
  • Местоположение
  • Город: KANSAS CITY
  • Штат: KS
  • ZIP: 66111
  • Адрес: 2663 S 88TH ST
  • Площадка аукциона: Kansas City, 2663 S 88th St, Kansas City, KS, 66111, 913-422-9303
  • Продающий филиал: Kansas City, KS
  • Физическая площадка: Да
  • Хранение вне площадки: Нет
  • Урон
  • Повреждение: FRONT END
  • Первичный урон: Front End
  • Вторичный урон: Left Front
  • Тип ущерба: Other
  • Документы
  • Штат тайтла: MO
  • Штат регистрации: Missouri
  • Тип тайтла: SALVAGE
  • Документ: MO SALVAGE
  • Финансы и аукцион
  • Рыночная стоимость: 13091
  • Оценка до аварии: 13091
  • Валюта: USD
  • Текущая ставка: 0
  • Тип продажи: 1
  • Тип торгов: Preliminary Bidding
  • Торги идут: Нет
  • Продан: Нет
  • Дата и статус торгов
  • Дата аукциона: Wed, Apr 8, 07:30am (PDT)
  • Время до начала: 4 дн. 20 ч. 49 мин. 42 сек.
  • Дополнительно
  • В избранном: Нет
  • Обновлено: Fri, Apr 3, 08:59am (PDT)
Видео
360° обзор
НУЖНО БОЛЬШЕ ИНФОРМАЦИИ? Позвоните сейчас
+7 (937) 390-5551 or Whatsapp Telegram Viber