2015 GMC SIERRA 1500 DENALI

Текущая ставка: 1800 USD
Лот #462509950
  • Основные характеристики
  • Лот: 462509950
  • Сток номер: 44381123
  • Название лота: 2015 GMC SIERRA 1500 DENALI
  • Год: 2015
  • Марка: GMC
  • Модель: SIERRA 1500
  • Комплектация: DENALI
  • VIN: 3GTU2WEC1FG309384
  • Тип транспорта: CAR
  • Тип кузова: CREW CAB
  • Цвет: Gray
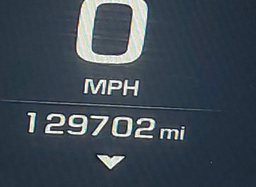
  • Пробег: 129702 mi
  • Технические характеристики
  • Цилиндры: 8 Cyl
  • Тип привода: Four Wheel Drive
  • Топливо: Gasoline
  • Коробка передач: Automatic
  • Состояние запуска: Run & Drive
  • Системы безопасности: Front Impact Airbag Driver;front Side Impact Airbag Driver;overhead Airbags;front Impact A
  • Пробег
  • Пробег: 129702
  • Единицы измерения: mi
  • Статус пробега: ACTUAL
  • Внешний вид
  • Цвет: Gray
  • Состояние автомобиля
  • Состояние запуска: Run & Drive
  • Проверка аукционом: Run & Drive Verified
  • Ключ: Y
  • Подушки безопасности: INTACT
  • Тип ущерба: Collision
  • Основное повреждение: Right Side
  • Повреждения (кратко): RIGHT SIDE
  • Информация о ставке
  • Текущая ставка: USD 1800
  • Валюта: USD
  • Информация о продаже
  • Тип аукциона: Preliminary Bidding
  • Дата торгов: Mon, Feb 23, 09:30am (PST)
  • Дата торгов (raw): 2026-02-23 09:30:00.000000
  • Местоположение
  • Город: LOS ANGELES
  • Штат: CA
  • ZIP: 91605
  • Адрес: 7245 LAUREL CANYON BLVD
  • Площадка аукциона: North Hollywood, 7245 Laurel Canyon Blvd, Los Angeles, CA, 91605, 818-487-2222
  • Продающий филиал: Anaheim Consolidated
  • Физическая площадка: Нет
  • Хранение вне площадки: Нет
  • Урон
  • Повреждение: RIGHT SIDE
  • Первичный урон: Right Side
  • Тип ущерба: Collision
  • Документы
  • Штат тайтла: CA
  • Штат регистрации: California
  • Тип тайтла: SALVAGE
  • Документ: CA SALVAGE
  • Финансы и аукцион
  • Рыночная стоимость: 22838
  • Оценка до аварии: 22838
  • Валюта: USD
  • Текущая ставка: 1800
  • Тип продажи: 1
  • Тип торгов: Preliminary Bidding
  • Торги идут: Нет
  • Продан: Нет
  • Дата и статус торгов
  • Дата аукциона: Mon, Feb 23, 09:30am (PST)
  • Время до начала: 1 дн. 17 ч. 59 мин. 6 сек.
  • Линия: B
  • Номер лота: 114
  • Дополнительно
  • В избранном: Нет
  • Обновлено: Sat, Feb 21, 12:24pm (PST)
Видео
360° обзор
НУЖНО БОЛЬШЕ ИНФОРМАЦИИ? Позвоните сейчас
+7 (937) 390-5551 or Whatsapp Telegram Viber