2016 MERCEDES-BENZ GLE 350 4MATIC

Текущая ставка: 3750 USD
Лот #474887125
  • Основные характеристики
  • Лот: 474887125
  • Сток номер: 44521543
  • Название лота: 2016 MERCEDES-BENZ GLE 350 4MATIC
  • Год: 2016
  • Марка: MERCEDES-BENZ
  • Модель: GLE 350
  • Комплектация: 4MATIC
  • VIN: 4JGDA5HB5GA714577
  • Тип транспорта: SUV
  • Тип кузова: SPORT UTILITY
  • Цвет: Black
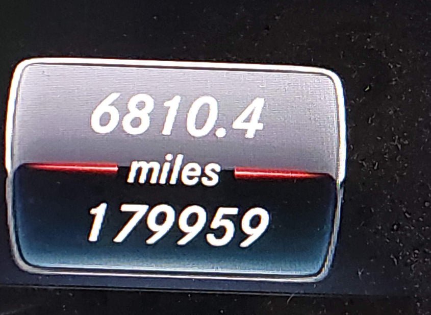
  • Пробег: 179959 mi
  • Технические характеристики
  • Цилиндры: 6 Cyl
  • Тип привода: All Wheel Drive
  • Топливо: Gasoline
  • Коробка передач: Automatic
  • Состояние запуска: Run & Drive
  • Системы безопасности: Front Impact Airbag Driver;front Side Impact Airbag Driver;overhead Airbags;front Impact A
  • Пробег
  • Пробег: 179959
  • Единицы измерения: mi
  • Статус пробега: ACTUAL
  • Внешний вид
  • Цвет: Black
  • Состояние автомобиля
  • Состояние запуска: Run & Drive
  • Проверка аукционом: Run & Drive Verified
  • Ключ: Y
  • Подушки безопасности: INTACT
  • Тип ущерба: Collision
  • Основное повреждение: Front End
  • Вторичное повреждение: Left Side
  • Повреждения (кратко): FRONT END
  • Информация о ставке
  • Текущая ставка: USD 3750
  • Валюта: USD
  • Информация о продаже
  • Тип аукциона: Preliminary Bidding
  • Дата торгов: Fri, Mar 27, 07:30am (PDT)
  • Дата торгов (raw): 2026-03-27 07:30:00.000000
  • Местоположение
  • Город: ROSHARON
  • Штат: TX
  • ZIP: 77583
  • Адрес: 2839 E. FM 1462
  • Площадка аукциона: Houston South, 2839 E. Fm 1462, Rosharon, TX, 77583, 281-369-1010
  • Продающий филиал: Houston South, TX
  • Физическая площадка: Да
  • Хранение вне площадки: Нет
  • Урон
  • Повреждение: FRONT END
  • Первичный урон: Front End
  • Вторичный урон: Left Side
  • Тип ущерба: Collision
  • Документы
  • Штат тайтла: TX
  • Штат регистрации: Texas
  • Тип тайтла: SALVAGE
  • Документ: TX SALVAGE
  • Финансы и аукцион
  • Рыночная стоимость: 8198
  • Оценка до аварии: 8198
  • Валюта: USD
  • Текущая ставка: 3750
  • Тип продажи: 1
  • Тип торгов: Preliminary Bidding
  • Торги идут: Нет
  • Продан: Да
  • Дата и статус торгов
  • Дата аукциона: Fri, Mar 27, 07:30am (PDT)
  • Время до начала: 12 дн. 19 ч. 46 мин. 44 сек.
  • Линия: B
  • Номер лота: 156
  • Дополнительно
  • В избранном: Нет
  • Обновлено: Fri, Mar 27, 08:22pm (PDT)
Видео
360° обзор
НУЖНО БОЛЬШЕ ИНФОРМАЦИИ? Позвоните сейчас
+7 (937) 390-5551 or Whatsapp Telegram Viber