2014 MERCEDES-BENZ C 300 SPORT 4MATIC

Текущая ставка: Нет ставки
Лот #512343543
  • Основные характеристики
  • Лот: 512343543
  • Сток номер: 43967174
  • Название лота: 2014 MERCEDES-BENZ C 300 SPORT 4MATIC
  • Год: 2014
  • Марка: MERCEDES-BENZ
  • Модель: C 300
  • Комплектация: SPORT 4MATIC
  • VIN: WDDGF8ABXER314615
  • Тип транспорта: CAR
  • Тип кузова: SEDAN
  • Цвет: Red
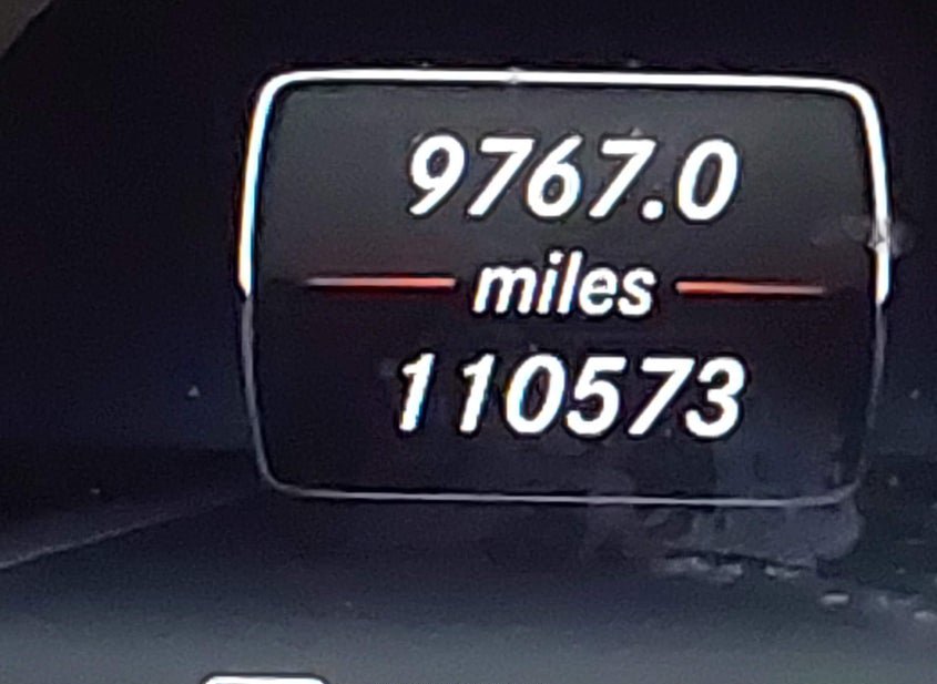
  • Пробег: 110573 mi
  • Технические характеристики
  • Цилиндры: 6 Cyl
  • Тип привода: All Wheel Drive
  • Топливо: Gasoline
  • Коробка передач: Automatic
  • Состояние запуска: Run & Drive
  • Системы безопасности: Front Impact Airbag Driver;front Side Impact Airbag Driver;overhead Airbags;front Impact A
  • Пробег
  • Пробег: 110573
  • Единицы измерения: mi
  • Статус пробега: ACTUAL
  • Внешний вид
  • Цвет: Red
  • Состояние автомобиля
  • Состояние запуска: Run & Drive
  • Проверка аукционом: Run & Drive Verified
  • Ключ: Y
  • Подушки безопасности: INTACT
  • Тип ущерба: Collision
  • Основное повреждение: Rear
  • Повреждения (кратко): REAR
  • Информация о ставке
  • Текущая ставка: USD 0
  • Валюта: USD
  • Buy Now: 2000
  • Информация о продаже
  • Тип аукциона: Buy It Now / Preliminary Bidding
  • Дата торгов: Wed, Apr 15, 07:30am (PDT)
  • Дата торгов (raw): 2026-04-15 07:30:00.000000
  • Местоположение
  • Город: SAINT PAUL
  • Штат: MN
  • ZIP: 55117
  • Адрес: 1280 JACKSON STREET
  • Площадка аукциона: Minneapolis/St. Paul, 1280 Jackson Street, Saint Paul, MN, 55117, 651-488-0581
  • Продающий филиал: Minneapolis/St. Paul, MN
  • Физическая площадка: Да
  • Хранение вне площадки: Нет
  • Урон
  • Повреждение: REAR
  • Первичный урон: Rear
  • Тип ущерба: Collision
  • Документы
  • Штат тайтла: MN
  • Штат регистрации: Minnesota
  • Тип тайтла: SALVAGE
  • Документ: MN SALVAGE
  • Финансы и аукцион
  • Рыночная стоимость: 10620
  • Оценка ремонта: 10620
  • Оценка до аварии: 10620
  • Валюта: USD
  • Текущая ставка: 0
  • Тип продажи: 2
  • Тип торгов: Buy It Now / Preliminary Bidding
  • Торги идут: Нет
  • Продан: Нет
  • Дата и статус торгов
  • Дата аукциона: Wed, Apr 15, 07:30am (PDT)
  • Время до начала: 4 дн. 13 ч. 13 мин. 8 сек.
  • Дополнительно
  • В избранном: Нет
  • Обновлено: Fri, Apr 10, 06:16pm (PDT)
Видео
360° обзор
НУЖНО БОЛЬШЕ ИНФОРМАЦИИ? Позвоните сейчас
+7 (937) 390-5551 or Whatsapp Telegram Viber