2018 NISSAN ROGUE SV

Текущая ставка: Нет ставки
Лот #565946780
  • Основные характеристики
  • Лот: 565946780
  • Сток номер: 44160487
  • Название лота: 2018 NISSAN ROGUE SV
  • Год: 2018
  • Марка: NISSAN
  • Модель: ROGUE
  • Комплектация: SV
  • VIN: JN8AT2MV3JW346303
  • Тип транспорта: CAR
  • Тип кузова: SPORT UTILITY
  • Цвет: Blue
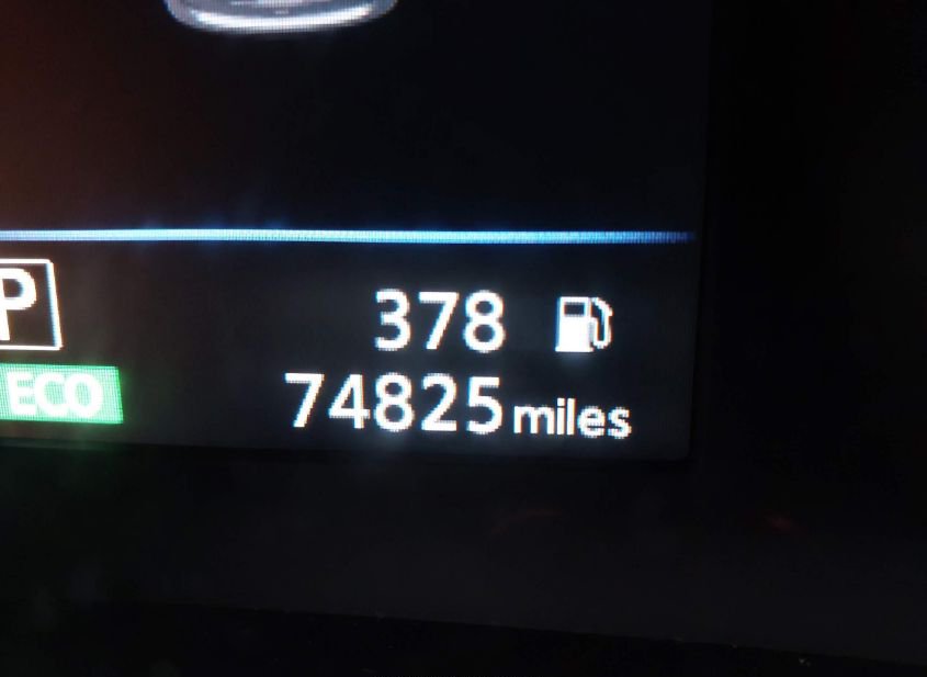
  • Пробег: 74825 mi
  • Технические характеристики
  • Цилиндры: 4 Cyl
  • Тип привода: All Wheel Drive
  • Топливо: Gasoline
  • Коробка передач: Automatic
  • Состояние запуска: Run & Drive
  • Системы безопасности: Front Impact Airbag Driver;front Side Impact Airbag Driver;overhead Airbags;front Impact A
  • Пробег
  • Пробег: 74825
  • Единицы измерения: mi
  • Статус пробега: ACTUAL
  • Внешний вид
  • Цвет: Blue
  • Состояние автомобиля
  • Состояние запуска: Run & Drive
  • Проверка аукционом: Run & Drive Verified
  • Ключ: Y
  • Подушки безопасности: INTACT
  • Тип ущерба: Collision
  • Основное повреждение: Front End
  • Повреждения (кратко): FRONT END
  • Информация о ставке
  • Текущая ставка: USD 0
  • Валюта: USD
  • Информация о продаже
  • Тип аукциона: Preliminary Bidding
  • Дата торгов: Mon, Mar 2, 06:30am (PST)
  • Дата торгов (raw): 2026-03-02 06:30:00.000000
  • Местоположение
  • Город: ENGLISHTOWN
  • Штат: NJ
  • ZIP: 07726
  • Адрес: 230 PENSION RD
  • Площадка аукциона: Englishtown, 230 Pension Rd, Englishtown, NJ, 07726, 732-634-5601
  • Продающий филиал: Englishtown, NJ
  • Физическая площадка: Да
  • Хранение вне площадки: Нет
  • Урон
  • Повреждение: FRONT END
  • Первичный урон: Front End
  • Тип ущерба: Collision
  • Документы
  • Штат тайтла: NJ
  • Штат регистрации: New Jersey
  • Тип тайтла: SALVAGE
  • Документ: NJ SALVAGE
  • Финансы и аукцион
  • Рыночная стоимость: 13477
  • Оценка ремонта: 10311
  • Оценка до аварии: 13477
  • Валюта: USD
  • Текущая ставка: 0
  • Тип продажи: 1
  • Тип торгов: Preliminary Bidding
  • Торги идут: Нет
  • Продан: Нет
  • Дата и статус торгов
  • Дата аукциона: Mon, Mar 2, 06:30am (PST)
  • Время до начала: 3 дн. 2 ч. 1 мин. 4 сек.
  • Линия: A
  • Номер лота: 36
  • Дополнительно
  • В избранном: Нет
  • Обновлено: Fri, Feb 27, 04:01am (PST)
Видео
360° обзор
НУЖНО БОЛЬШЕ ИНФОРМАЦИИ? Позвоните сейчас
+7 (937) 390-5551 or Whatsapp Telegram Viber