2018 FORD ESCAPE SE

Текущая ставка: Нет ставки
Лот #701401988
  • Основные характеристики
  • Лот: 701401988
  • Сток номер: 43557051
  • Название лота: 2018 FORD ESCAPE SE
  • Год: 2018
  • Марка: FORD
  • Модель: ESCAPE
  • Комплектация: SE
  • VIN: 1FMCU0GD9JUC31270
  • Тип транспорта: CAR
  • Тип кузова: SPORT UTILITY
  • Цвет: White
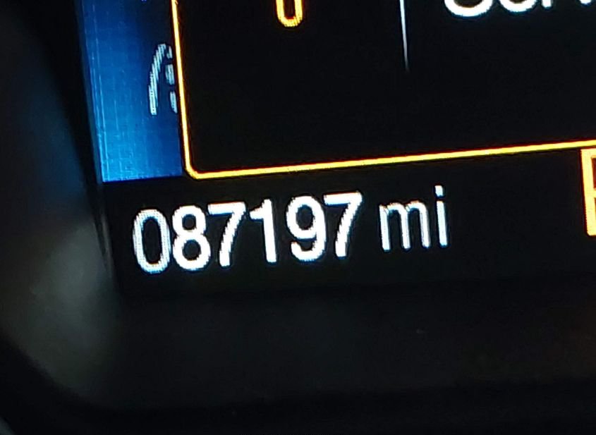
  • Пробег: 88174 mi
  • Технические характеристики
  • Цилиндры: 4 Cyl
  • Тип привода: Front Wheel Drive
  • Топливо: Gasoline
  • Коробка передач: Automatic
  • Состояние запуска: Stationary
  • Системы безопасности: Front Impact Airbag Driver;front Side Impact Airbag Driver;overhead Airbags;front Impact A
  • Пробег
  • Пробег: 88174
  • Единицы измерения: mi
  • Статус пробега: NOT ACTUAL
  • Внешний вид
  • Цвет: White
  • Состояние автомобиля
  • Состояние запуска: Stationary
  • Проверка аукционом: NOT SPECIFIED
  • Ключ: Y
  • Подушки безопасности: INTACT
  • Тип ущерба: Collision
  • Основное повреждение: Front End
  • Вторичное повреждение: Left Front
  • Повреждения (кратко): FRONT END
  • Информация о ставке
  • Текущая ставка: USD 0
  • Валюта: USD
  • Buy Now: 1475
  • Информация о продаже
  • Тип аукциона: Buy It Now / Preliminary Bidding
  • Дата торгов: Mon, Feb 23, 06:30am (PST)
  • Дата торгов (raw): 2026-02-23 06:30:00.000000
  • Местоположение
  • Город: TIFTON
  • Штат: GA
  • ZIP: 31794
  • Адрес: 368 OAKRIDGE CHURCH RD
  • Площадка аукциона: Tifton, 368 Oakridge Church Rd, Tifton, GA, 31794, 229-386-2640
  • Продающий филиал: Tifton, GA
  • Физическая площадка: Да
  • Хранение вне площадки: Нет
  • Урон
  • Повреждение: FRONT END
  • Первичный урон: Front End
  • Вторичный урон: Left Front
  • Тип ущерба: Collision
  • Документы
  • Штат тайтла: GA
  • Штат регистрации: Georgia
  • Тип тайтла: SALVAGE
  • Документ: GA SALVAGE
  • Финансы и аукцион
  • Рыночная стоимость: 11943
  • Оценка ремонта: 7612
  • Оценка до аварии: 11943
  • Валюта: USD
  • Текущая ставка: 0
  • Тип продажи: 2
  • Тип торгов: Buy It Now / Preliminary Bidding
  • Торги идут: Нет
  • Продан: Нет
  • Дата и статус торгов
  • Дата аукциона: Mon, Feb 23, 06:30am (PST)
  • Время до начала: 1 дн. 12 ч. 8 мин. 58 сек.
  • Дополнительно
  • В избранном: Нет
  • Обновлено: Sat, Feb 21, 06:00pm (PST)
360° обзор
НУЖНО БОЛЬШЕ ИНФОРМАЦИИ? Позвоните сейчас
+7 (937) 390-5551 or Whatsapp Telegram Viber