2019 NISSAN ROGUE S

Текущая ставка: Нет ставки
Лот #719574086
  • Основные характеристики
  • Лот: 719574086
  • Сток номер: 44773547
  • Название лота: 2019 NISSAN ROGUE S
  • Год: 2019
  • Марка: NISSAN
  • Модель: ROGUE
  • Комплектация: S
  • VIN: KNMAT2MT2KP560818
  • Тип транспорта: CAR
  • Тип кузова: SPORT UTILITY
  • Цвет: Black
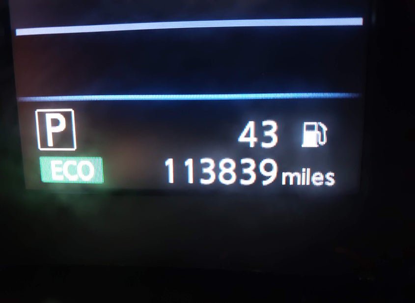
  • Пробег: 113839 mi
  • Технические характеристики
  • Цилиндры: 4 Cyl
  • Тип привода: Front Wheel Drive
  • Топливо: Gasoline
  • Коробка передач: Automatic
  • Состояние запуска: Run & Drive
  • Системы безопасности: Front Impact Airbag Driver;front Side Impact Airbag Driver;overhead Airbags;front Impact A
  • Пробег
  • Пробег: 113839
  • Единицы измерения: mi
  • Статус пробега: ACTUAL
  • Внешний вид
  • Цвет: Black
  • Состояние автомобиля
  • Состояние запуска: Run & Drive
  • Проверка аукционом: Run & Drive Verified
  • Ключ: Y
  • Подушки безопасности: INTACT
  • Тип ущерба: Collision
  • Основное повреждение: Front End
  • Повреждения (кратко): FRONT END
  • Информация о ставке
  • Текущая ставка: USD 0
  • Валюта: USD
  • Buy Now: 4200
  • Информация о продаже
  • Тип аукциона: Buy It Now / Preliminary Bidding
  • Дата торгов: Thu, Apr 16, 07:30am (PDT)
  • Дата торгов (raw): 2026-04-16 07:30:00.000000
  • Местоположение
  • Город: BELL COUNTY
  • Штат: TX
  • ZIP: 76527
  • Адрес: 23010 FIREFLY RD
  • Площадка аукциона: Austin North, 23010 Firefly Rd, Bell County, TX, 76527, 254-970-0575
  • Продающий филиал: Austin North, TX
  • Физическая площадка: Да
  • Хранение вне площадки: Нет
  • Урон
  • Повреждение: FRONT END
  • Первичный урон: Front End
  • Тип ущерба: Collision
  • Документы
  • Штат тайтла: TX
  • Штат регистрации: Texas
  • Тип тайтла: CLEAR
  • Документ: TX CLEAR VEHICLE BEING SOLD WITH TITLE PENDING - TBO-POSSIB
  • Финансы и аукцион
  • Валюта: USD
  • Текущая ставка: 0
  • Тип продажи: 2
  • Тип торгов: Buy It Now / Preliminary Bidding
  • Торги идут: Нет
  • Продан: Нет
  • Дата и статус торгов
  • Дата аукциона: Thu, Apr 16, 07:30am (PDT)
  • Время до начала: 5 дн. 8 ч. 47 мин. 35 сек.
  • Дополнительно
  • В избранном: Нет
  • Обновлено: Fri, Apr 10, 10:42pm (PDT)
360° обзор
НУЖНО БОЛЬШЕ ИНФОРМАЦИИ? Позвоните сейчас
+7 (937) 390-5551 or Whatsapp Telegram Viber