2018 HYUNDAI ELANTRA SPORT

Текущая ставка: 1650 USD
Лот #729886780
  • Основные характеристики
  • Лот: 729886780
  • Сток номер: 44350915
  • Название лота: 2018 HYUNDAI ELANTRA SPORT
  • Год: 2018
  • Марка: HYUNDAI
  • Модель: ELANTRA
  • Комплектация: SPORT
  • VIN: KMHD04LB7JU553983
  • Тип транспорта: CAR
  • Тип кузова: SEDAN
  • Цвет: White
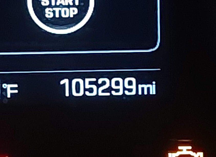
  • Пробег: 105299 mi
  • Технические характеристики
  • Цилиндры: 4 Cyl
  • Тип привода: Front Wheel Drive
  • Топливо: Gasoline
  • Коробка передач: Automatic
  • Состояние запуска: Stationary
  • Системы безопасности: Front Impact Airbag Driver;front Side Impact Airbag Driver;overhead Airbags;front Impact A
  • Пробег
  • Пробег: 105299
  • Единицы измерения: mi
  • Статус пробега: ACTUAL
  • Внешний вид
  • Цвет: White
  • Состояние автомобиля
  • Состояние запуска: Stationary
  • Проверка аукционом: NOT SPECIFIED
  • Ключ: Y
  • Подушки безопасности: INTACT
  • Тип ущерба: Collision
  • Основное повреждение: Left Front
  • Вторичное повреждение: Left Side
  • Повреждения (кратко): LEFT FRONT
  • Информация о ставке
  • Текущая ставка: USD 1650
  • Валюта: USD
  • Информация о продаже
  • Тип аукциона: Preliminary Bidding
  • Дата торгов: Wed, Mar 25, 06:30am (PDT)
  • Дата торгов (raw): 2026-03-25 06:30:00.000000
  • Местоположение
  • Город: MORGANVILLE
  • Штат: NJ
  • ZIP: 07751
  • Адрес: 426 TEXAS ROAD
  • Площадка аукциона: Central New Jersey, 426 Texas Road, Morganville, NJ, 07751, 732-591-8173
  • Продающий филиал: Central New Jersey, NJ
  • Физическая площадка: Да
  • Хранение вне площадки: Нет
  • Урон
  • Повреждение: LEFT FRONT
  • Первичный урон: Left Front
  • Вторичный урон: Left Side
  • Тип ущерба: Collision
  • Документы
  • Штат тайтла: NJ
  • Штат регистрации: New Jersey
  • Тип тайтла: SALVAGE
  • Документ: NJ SALVAGE
  • Финансы и аукцион
  • Рыночная стоимость: 10623
  • Оценка ремонта: 7581
  • Оценка до аварии: 10623
  • Валюта: USD
  • Текущая ставка: 1650
  • Тип продажи: 1
  • Тип торгов: Preliminary Bidding
  • Торги идут: Нет
  • Продан: Да
  • Дата и статус торгов
  • Дата аукциона: Wed, Mar 25, 06:30am (PDT)
  • Время до начала: 11 дн. 14 ч. 14 мин. 12 сек.
  • Линия: B
  • Номер лота: 40
  • Дополнительно
  • В избранном: Нет
  • Обновлено: Wed, Mar 25, 08:19pm (PDT)
360° обзор
НУЖНО БОЛЬШЕ ИНФОРМАЦИИ? Позвоните сейчас
+7 (937) 390-5551 or Whatsapp Telegram Viber