2019 CHEVROLET TRAVERSE 1LT

Текущая ставка: 25 USD
Лот #755614770
  • Основные характеристики
  • Лот: 755614770
  • Сток номер: 43858129
  • Название лота: 2019 CHEVROLET TRAVERSE 1LT
  • Год: 2019
  • Марка: CHEVROLET
  • Модель: TRAVERSE
  • Комплектация: 1LT
  • VIN: 1GNEVGKW7KJ275158
  • Тип транспорта: CAR
  • Тип кузова: SPORT UTILITY
  • Цвет: White
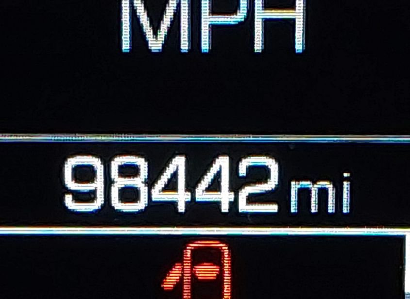
  • Пробег: 98442 mi
  • Технические характеристики
  • Цилиндры: 6 Cyl
  • Тип привода: All Wheel Drive
  • Топливо: Gasoline
  • Коробка передач: Automatic
  • Состояние запуска: Run & Drive
  • Системы безопасности: Front Impact Airbag Driver;front Side Impact Airbag Driver;overhead Airbags;front Impact A
  • Пробег
  • Пробег: 98442
  • Единицы измерения: mi
  • Статус пробега: ACTUAL
  • Внешний вид
  • Цвет: White
  • Состояние автомобиля
  • Состояние запуска: Run & Drive
  • Проверка аукционом: Run & Drive Verified
  • Ключ: Y
  • Подушки безопасности: INTACT
  • Тип ущерба: Collision
  • Основное повреждение: Front End
  • Вторичное повреждение: Right Side
  • Повреждения (кратко): FRONT END
  • Информация о ставке
  • Текущая ставка: USD 25
  • Валюта: USD
  • Информация о продаже
  • Тип аукциона: Preliminary Bidding
  • Дата торгов: Mon, Feb 23, 06:30am (PST)
  • Дата торгов (raw): 2026-02-23 06:30:00.000000
  • Местоположение
  • Город: EMINENCE
  • Штат: KY
  • ZIP: 40019
  • Адрес: 891 BALLARDSVILLE ROAD
  • Площадка аукциона: Louisville North, 891 Ballardsville Road, Eminence, KY, 40019, 502-215-4804
  • Продающий филиал: Louisville North, KY
  • Физическая площадка: Да
  • Хранение вне площадки: Нет
  • Урон
  • Повреждение: FRONT END
  • Первичный урон: Front End
  • Вторичный урон: Right Side
  • Тип ущерба: Collision
  • Документы
  • Штат тайтла: KY
  • Штат регистрации: Kentucky
  • Тип тайтла: SALVAGE
  • Документ: KY SALVAGE
  • Финансы и аукцион
  • Рыночная стоимость: 16157
  • Оценка ремонта: 12488
  • Оценка до аварии: 16157
  • Валюта: USD
  • Текущая ставка: 25
  • Тип продажи: 1
  • Тип торгов: Preliminary Bidding
  • Торги идут: Нет
  • Продан: Нет
  • Дата и статус торгов
  • Дата аукциона: Mon, Feb 23, 06:30am (PST)
  • Время до начала: 16 ч. 56 мин. 24 сек.
  • Линия: A
  • Номер лота: 122
  • Дополнительно
  • В избранном: Нет
  • Обновлено: Sun, Feb 22, 12:10pm (PST)
Видео
360° обзор
НУЖНО БОЛЬШЕ ИНФОРМАЦИИ? Позвоните сейчас
+7 (937) 390-5551 or Whatsapp Telegram Viber