2024 FORD MUSTANG GT FASTBACK

Текущая ставка: 3050 USD
Лот #826292212
  • Основные характеристики
  • Лот: 826292212
  • Сток номер: 44545119
  • Название лота: 2024 FORD MUSTANG GT FASTBACK
  • Год: 2024
  • Марка: FORD
  • Модель: MUSTANG
  • Комплектация: GT FASTBACK
  • VIN: 1FA6P8CF5R5417558
  • Тип транспорта: CAR
  • Тип кузова: COUPE
  • Цвет: Gray
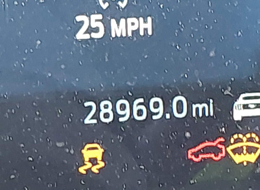
  • Пробег: 28969 mi
  • Технические характеристики
  • Цилиндры: 8 Cyl
  • Тип привода: Rear Wheel Drive
  • Топливо: Gasoline
  • Коробка передач: Automatic
  • Состояние запуска: Run & Drive
  • Системы безопасности: Front Impact Airbag Driver;front Side Impact Airbag Driver;overhead Airbags;front Impact A
  • Пробег
  • Пробег: 28969
  • Единицы измерения: mi
  • Статус пробега: ACTUAL
  • Внешний вид
  • Цвет: Gray
  • Состояние автомобиля
  • Состояние запуска: Run & Drive
  • Проверка аукционом: Run & Drive Verified
  • Ключ: Y
  • Подушки безопасности: INTACT
  • Тип ущерба: Collision
  • Основное повреждение: Front End
  • Повреждения (кратко): FRONT END
  • Информация о ставке
  • Текущая ставка: USD 3050
  • Валюта: USD
  • Информация о продаже
  • Тип аукциона: Preliminary Bidding
  • Дата торгов: Mon, Apr 13, 09:30am (PDT)
  • Дата торгов (raw): 2026-04-13 09:30:00.000000
  • Местоположение
  • Город: SAN DIEGO
  • Штат: CA
  • ZIP: 92154
  • Адрес: 2380 BRITANNIA BLVD
  • Площадка аукциона: San Diego, 2380 Britannia Blvd, San Diego, CA, 92154, 619-710-2866
  • Продающий филиал: San Diego, CA
  • Физическая площадка: Да
  • Хранение вне площадки: Нет
  • Урон
  • Повреждение: FRONT END
  • Первичный урон: Front End
  • Тип ущерба: Collision
  • Документы
  • Штат тайтла: CA
  • Штат регистрации: California
  • Тип тайтла: SALVAGE
  • Документ: CA SALVAGE
  • Финансы и аукцион
  • Рыночная стоимость: 37561
  • Оценка до аварии: 37561
  • Валюта: USD
  • Текущая ставка: 3050
  • Тип продажи: 1
  • Тип торгов: Preliminary Bidding
  • Торги идут: Нет
  • Продан: Нет
  • Дата и статус торгов
  • Дата аукциона: Mon, Apr 13, 09:30am (PDT)
  • Время до начала: 2 дн. 2 ч. 22 мин. 55 сек.
  • Линия: B
  • Номер лота: 92
  • Дополнительно
  • В избранном: Нет
  • Обновлено: Sat, Apr 11, 06:09am (PDT)
Видео
360° обзор
НУЖНО БОЛЬШЕ ИНФОРМАЦИИ? Позвоните сейчас
+7 (937) 390-5551 or Whatsapp Telegram Viber