2015 CHEVROLET IMPALA 2LZ

Текущая ставка: 825 USD
Лот #826466058
  • Основные характеристики
  • Лот: 826466058
  • Сток номер: 43809221
  • Название лота: 2015 CHEVROLET IMPALA 2LZ
  • Год: 2015
  • Марка: CHEVROLET
  • Модель: IMPALA
  • Комплектация: 2LZ
  • VIN: 1G1165S38FU112787
  • Тип транспорта: CAR
  • Тип кузова: SEDAN
  • Цвет: Blue
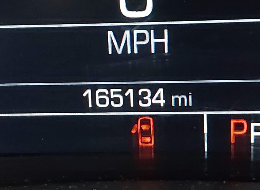
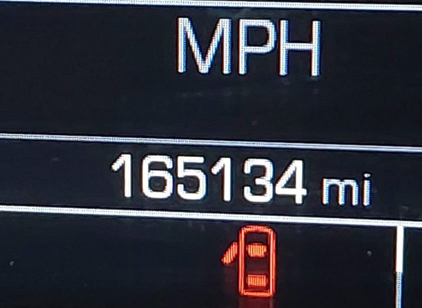
  • Пробег: 165134 mi
  • Технические характеристики
  • Цилиндры: 6 Cyl
  • Тип привода: Front Wheel Drive
  • Топливо: Gasoline
  • Коробка передач: Automatic
  • Состояние запуска: Run & Drive
  • Системы безопасности: Front Impact Airbag Driver;front Side Impact Airbag Driver;overhead Airbags;front Impact A
  • Пробег
  • Пробег: 165134
  • Единицы измерения: mi
  • Статус пробега: EXCEEDS MECHANICAL LIMITS
  • Внешний вид
  • Цвет: Blue
  • Состояние автомобиля
  • Состояние запуска: Run & Drive
  • Проверка аукционом: Run & Drive Verified
  • Ключ: Y
  • Подушки безопасности: INTACT
  • Тип ущерба: Collision
  • Основное повреждение: Left & Right Side
  • Повреждения (кратко): LEFT & RIGHT SIDE
  • Информация о ставке
  • Текущая ставка: USD 825
  • Валюта: USD
  • Информация о продаже
  • Тип аукциона: Preliminary Bidding
  • Дата торгов: Thu, Mar 12, 07:30am (PDT)
  • Дата торгов (raw): 2026-03-12 07:30:00.000000
  • Местоположение
  • Город: GREENWOOD
  • Штат: NE
  • ZIP: 68366
  • Адрес: 13909 238TH
  • Площадка аукциона: Omaha South, 13909 238th, Greenwood, NE, 68366, 402-901-4210
  • Продающий филиал: Omaha South, NE
  • Физическая площадка: Да
  • Хранение вне площадки: Нет
  • Урон
  • Повреждение: LEFT & RIGHT SIDE
  • Первичный урон: Left & Right Side
  • Тип ущерба: Collision
  • Документы
  • Штат тайтла: NE
  • Штат регистрации: Nebraska
  • Тип тайтла: SALVAGE
  • Документ: NE SALVAGE
  • Финансы и аукцион
  • Рыночная стоимость: 6571
  • Оценка ремонта: 5436
  • Оценка до аварии: 6571
  • Валюта: USD
  • Текущая ставка: 825
  • Тип продажи: 1
  • Тип торгов: Preliminary Bidding
  • Торги идут: Нет
  • Продан: Да
  • Дата и статус торгов
  • Дата аукциона: Thu, Mar 12, 07:30am (PDT)
  • Время до начала: 26 дн. 19 ч. 24 мин. 36 сек.
  • Линия: B
  • Номер лота: 8
  • Дополнительно
  • В избранном: Нет
  • Обновлено: Thu, Mar 12, 08:17pm (PDT)
Видео
360° обзор
НУЖНО БОЛЬШЕ ИНФОРМАЦИИ? Позвоните сейчас
+7 (937) 390-5551 or Whatsapp Telegram Viber