2018 TOYOTA CAMRY SE

Текущая ставка: 2100 USD
Лот #840071938
  • Основные характеристики
  • Лот: 840071938
  • Сток номер: 44207727
  • Название лота: 2018 TOYOTA CAMRY SE
  • Год: 2018
  • Марка: TOYOTA
  • Модель: CAMRY
  • Комплектация: SE
  • VIN: 4T1B11HK6JU602876
  • Тип транспорта: CAR
  • Тип кузова: SEDAN
  • Цвет: Burgundy
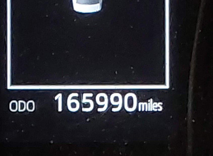
  • Пробег: 165990 mi
  • Технические характеристики
  • Цилиндры: 4 Cyl
  • Тип привода: Front Wheel Drive
  • Топливо: Gasoline
  • Коробка передач: Automatic
  • Цвет салона: Black
  • Состояние запуска: Run & Drive
  • Системы безопасности: Front Impact Airbag Driver;front Side Impact Airbag Driver;overhead Airbags;front Impact A
  • Пробег
  • Пробег: 165990
  • Единицы измерения: mi
  • Статус пробега: ACTUAL
  • Внешний вид
  • Цвет: Burgundy
  • Состояние автомобиля
  • Состояние запуска: Run & Drive
  • Проверка аукционом: Run & Drive Verified
  • Ключ: Y
  • Подушки безопасности: INTACT
  • Тип ущерба: Collision
  • Основное повреждение: Left Side
  • Повреждения (кратко): LEFT SIDE
  • Информация о ставке
  • Текущая ставка: USD 2100
  • Валюта: USD
  • Информация о продаже
  • Тип аукциона: Preliminary Bidding
  • Дата торгов: Thu, Mar 5, 07:30am (PST)
  • Дата торгов (raw): 2026-03-05 07:30:00.000000
  • Местоположение
  • Город: LINCOLN
  • Штат: AR
  • ZIP: 72744
  • Адрес: 2801 E PRIDEMORE DR.
  • Площадка аукциона: Fayetteville, 2801 E Pridemore Dr., Lincoln, AR, 72744, 479-824-6200
  • Продающий филиал: Fayetteville, AR
  • Физическая площадка: Да
  • Хранение вне площадки: Нет
  • Урон
  • Повреждение: LEFT SIDE
  • Первичный урон: Left Side
  • Тип ущерба: Collision
  • Документы
  • Штат тайтла: AR
  • Штат регистрации: Arkansas
  • Тип тайтла: CLEAR
  • Документ: AR CLEAR MILEAGE 165898 PER POA
  • Финансы и аукцион
  • Рыночная стоимость: 12954
  • Оценка до аварии: 12954
  • Валюта: USD
  • Текущая ставка: 2100
  • Тип продажи: 1
  • Тип торгов: Preliminary Bidding
  • Торги идут: Нет
  • Продан: Нет
  • Дата и статус торгов
  • Дата аукциона: Thu, Mar 5, 07:30am (PST)
  • Время до начала: 12 ч. 22 мин. 10 сек.
  • Линия: A
  • Номер лота: 5
  • Дополнительно
  • В избранном: Нет
  • Обновлено: Wed, Mar 4, 04:09pm (PST)
Видео
360° обзор
НУЖНО БОЛЬШЕ ИНФОРМАЦИИ? Позвоните сейчас
+7 (937) 390-5551 or Whatsapp Telegram Viber