2018 NISSAN SENTRA SV

Текущая ставка: 1050 USD
Лот #907518947
  • Основные характеристики
  • Лот: 907518947
  • Сток номер: 44204266
  • Название лота: 2018 NISSAN SENTRA SV
  • Год: 2018
  • Марка: NISSAN
  • Модель: SENTRA
  • Комплектация: SV
  • VIN: 3N1AB7AP1JY227467
  • Тип транспорта: CAR
  • Тип кузова: SEDAN
  • Цвет: Gray
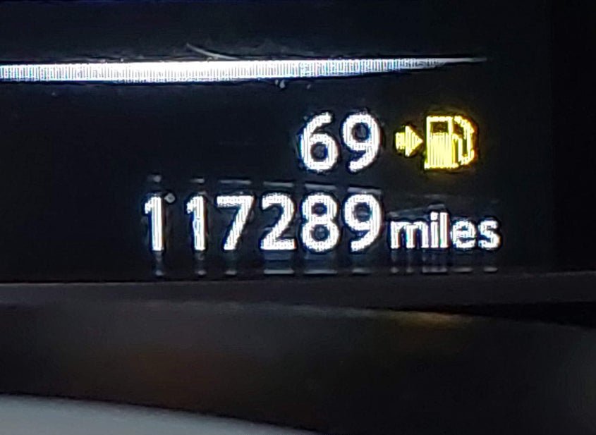
  • Пробег: 117289 mi
  • Технические характеристики
  • Цилиндры: 4 Cyl
  • Тип привода: Front Wheel Drive
  • Топливо: Gasoline
  • Коробка передач: Automatic
  • Цвет салона: Black
  • Состояние запуска: Run & Drive
  • Системы безопасности: Front Impact Airbag Driver;front Side Impact Airbag Driver;overhead Airbags;front Impact A
  • Пробег
  • Пробег: 117289
  • Единицы измерения: mi
  • Статус пробега: ACTUAL
  • Внешний вид
  • Цвет: Gray
  • Состояние автомобиля
  • Состояние запуска: Run & Drive
  • Проверка аукционом: Run & Drive Verified
  • Ключ: Y
  • Подушки безопасности: DEPLOYED
  • Тип ущерба: Collision
  • Основное повреждение: Left Side
  • Повреждения (кратко): LEFT SIDE
  • Информация о ставке
  • Текущая ставка: USD 1050
  • Валюта: USD
  • Информация о продаже
  • Тип аукциона: Preliminary Bidding
  • Дата торгов: Thu, Mar 26, 09:30am (PDT)
  • Дата торгов (raw): 2026-03-26 09:30:00.000000
  • Местоположение
  • Город: GARDENA
  • Штат: CA
  • ZIP: 90248
  • Адрес: 18300 SOUTH VERMONT AVENUE
  • Площадка аукциона: Los Angeles, 18300 South Vermont Avenue, Gardena, CA, 90248, 310-965-0499
  • Продающий филиал: Los Angeles, CA
  • Физическая площадка: Да
  • Хранение вне площадки: Нет
  • Урон
  • Повреждение: LEFT SIDE
  • Первичный урон: Left Side
  • Тип ущерба: Collision
  • Документы
  • Штат тайтла: CA
  • Штат регистрации: California
  • Тип тайтла: SALVAGE
  • Документ: CA SALVAGE
  • Финансы и аукцион
  • Рыночная стоимость: 7501
  • Оценка до аварии: 7501
  • Валюта: USD
  • Текущая ставка: 1050
  • Тип продажи: 1
  • Тип торгов: Preliminary Bidding
  • Торги идут: Нет
  • Продан: Да
  • Дата и статус торгов
  • Дата аукциона: Thu, Mar 26, 09:30am (PDT)
  • Время до начала: 9 дн. 3 ч. 26 мин. 53 сек.
  • Линия: A
  • Номер лота: 84
  • Дополнительно
  • В избранном: Нет
  • Обновлено: Thu, Mar 26, 08:19pm (PDT)
360° обзор
НУЖНО БОЛЬШЕ ИНФОРМАЦИИ? Позвоните сейчас
+7 (937) 390-5551 or Whatsapp Telegram Viber