2019 MERCEDES-BENZ GLC 300 COUPE 4MATIC

Текущая ставка: Нет ставки
Лот #954955337
  • Основные характеристики
  • Лот: 954955337
  • Сток номер: 44792990
  • Название лота: 2019 MERCEDES-BENZ GLC 300 COUPE 4MATIC
  • Год: 2019
  • Марка: MERCEDES-BENZ
  • Модель: GLC 300 COUPE
  • Комплектация: 4MATIC
  • VIN: WDC0J4KBXKF497264
  • Тип транспорта: CAR
  • Тип кузова: SPORT UTILITY
  • Цвет: Silver
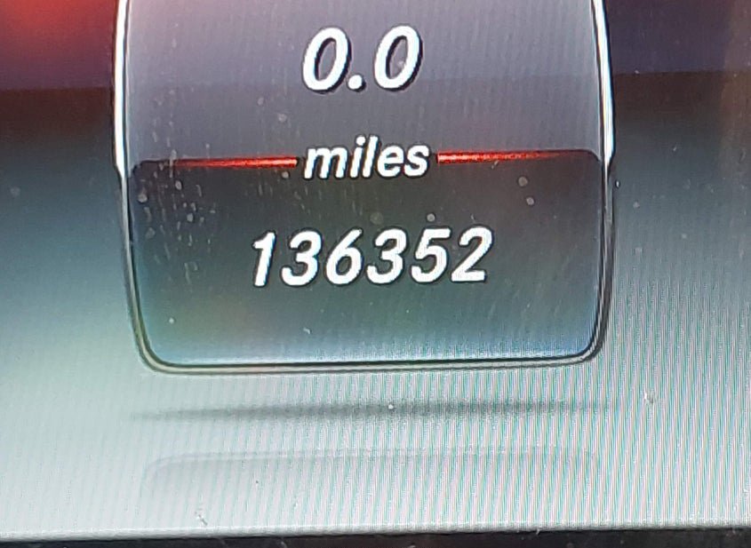
  • Пробег: 136352 mi
  • Технические характеристики
  • Цилиндры: 4 Cylinders
  • Тип привода: All Wheel Drive
  • Топливо: Gasoline
  • Коробка передач: Automatic
  • Состояние запуска: Run & Drive
  • Системы безопасности: Front impact airbag driver;Front side impact airbag driver;Overhead airbags;Front impact airbag passenger;Front side impact airbag passenger;Airbag child seat sensor;Knee airbag
  • Пробег
  • Пробег: 136352
  • Единицы измерения: mi
  • Статус пробега: NOT ACTUAL
  • Внешний вид
  • Цвет: Silver
  • Состояние автомобиля
  • Состояние запуска: Run & Drive
  • Проверка аукционом: Run & Drive Verified
  • Ключ: Y
  • Подушки безопасности: INTACT
  • Тип ущерба: Other
  • Основное повреждение: Front End
  • Вторичное повреждение: Mechanical
  • Повреждения (кратко): FRONT END
  • Информация о ставке
  • Текущая ставка: USD 0
  • Валюта: USD
  • Buy Now: 17500
  • Информация о продаже
  • Тип аукциона: Buy It Now / Preliminary Bidding
  • Дата торгов: Thu, Apr 16, 06:30am (PDT)
  • Дата торгов (raw): 2026-04-16 06:30:00.000000
  • Местоположение
  • Город: Southwest Ranch
  • Штат: FL
  • ZIP: 33332
  • Адрес: 20499 Stirling Road
  • Площадка аукциона: Miami-North, 20499 Stirling Road, Southwest Ranch, FL, 33332, 954-680-4370
  • Продающий филиал: Miami-North, FL
  • Физическая площадка: Да
  • Хранение вне площадки: Нет
  • Урон
  • Повреждение: FRONT END
  • Первичный урон: Front End
  • Вторичный урон: Mechanical
  • Тип ущерба: Other
  • Документы
  • Штат тайтла: FL
  • Штат регистрации: Florida
  • Тип тайтла: SALVAGE
  • Документ: FL SALVAGE PREV TX-FLOOD DMG/REBUILT
  • Финансы и аукцион
  • Рыночная стоимость: 20725
  • Оценка до аварии: 20725
  • Валюта: USD
  • Текущая ставка: 0
  • Тип продажи: 2
  • Тип торгов: Buy It Now / Preliminary Bidding
  • Торги идут: Нет
  • Продан: Нет
  • Дата и статус торгов
  • Дата аукциона: Thu, Apr 16, 06:30am (PDT)
  • Время до начала: 3 дн. 19 ч. 4 мин. 55 сек.
  • Дополнительно
  • В избранном: Нет
  • Обновлено: Sun, Apr 12, 11:21am (PDT)
Видео
360° обзор
НУЖНО БОЛЬШЕ ИНФОРМАЦИИ? Позвоните сейчас
+7 (937) 390-5551 or Whatsapp Telegram Viber