2016 GMC YUKON SLT

Текущая ставка: Нет ставки
Лот #984327989
  • Основные характеристики
  • Лот: 984327989
  • Сток номер: 44194993
  • Название лота: 2016 GMC YUKON SLT
  • Год: 2016
  • Марка: GMC
  • Модель: YUKON
  • Комплектация: SLT
  • VIN: 1GKS2BKC0GR480850
  • Тип транспорта: SUV
  • Тип кузова: SPORT UTILITY
  • Цвет: White
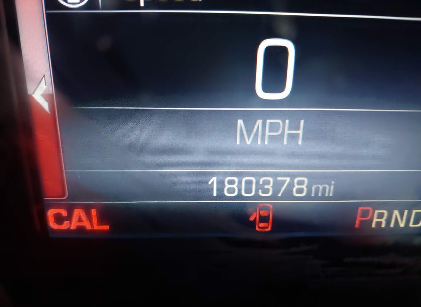
  • Пробег: 180378 mi
  • Технические характеристики
  • Цилиндры: 8 Cyl
  • Тип привода: Four Wheel Drive
  • Топливо: Gasoline
  • Коробка передач: Automatic
  • Состояние запуска: Run & Drive
  • Системы безопасности: Front Impact Airbag Driver;front Side Impact Airbag Driver;overhead Airbags;front Impact A
  • Пробег
  • Пробег: 180378
  • Единицы измерения: mi
  • Статус пробега: ACTUAL
  • Внешний вид
  • Цвет: White
  • Состояние автомобиля
  • Состояние запуска: Run & Drive
  • Проверка аукционом: Run & Drive Verified
  • Ключ: Y
  • Подушки безопасности: INTACT
  • Тип ущерба: Collision
  • Основное повреждение: Front End
  • Вторичное повреждение: Left Side
  • Повреждения (кратко): FRONT END
  • Информация о ставке
  • Текущая ставка: USD 0
  • Валюта: USD
  • Buy Now: 2975
  • Информация о продаже
  • Тип аукциона: Buy It Now / Preliminary Bidding
  • Дата торгов: Tue, Apr 7, 06:30am (PDT)
  • Дата торгов (raw): 2026-04-07 06:30:00.000000
  • Местоположение
  • Город: FLINT
  • Штат: MI
  • ZIP: 48507
  • Адрес: 3088 S. DYE RD
  • Площадка аукциона: Flint, 3088 S. Dye Rd, Flint, MI, 48507, 810-720-0981
  • Продающий филиал: Flint, MI
  • Физическая площадка: Да
  • Хранение вне площадки: Нет
  • Урон
  • Повреждение: FRONT END
  • Первичный урон: Front End
  • Вторичный урон: Left Side
  • Тип ущерба: Collision
  • Документы
  • Штат тайтла: FL
  • Штат регистрации: Florida
  • Тип тайтла: SALVAGE
  • Документ: FL SALVAGE FL REBUILDABLE SALVAGE
  • Финансы и аукцион
  • Рыночная стоимость: 16692
  • Оценка ремонта: 12424
  • Оценка до аварии: 16692
  • Валюта: USD
  • Текущая ставка: 0
  • Тип продажи: 2
  • Тип торгов: Buy It Now / Preliminary Bidding
  • Торги идут: Нет
  • Продан: Нет
  • Дата и статус торгов
  • Дата аукциона: Tue, Apr 7, 06:30am (PDT)
  • Время до начала: 4 дн. 12 ч. 41 мин. 13 сек.
  • Дополнительно
  • В избранном: Нет
  • Обновлено: Thu, Apr 2, 05:46pm (PDT)
Видео
360° обзор
НУЖНО БОЛЬШЕ ИНФОРМАЦИИ? Позвоните сейчас
+7 (937) 390-5551 or Whatsapp Telegram Viber