2017 LEXUS ES 350

Текущая ставка: Нет ставки
Лот #987651417
  • Основные характеристики
  • Лот: 987651417
  • Сток номер: 44098373
  • Название лота: 2017 LEXUS ES 350
  • Год: 2017
  • Марка: LEXUS
  • Модель: ES 350
  • VIN: 58ABK1GG2HU063735
  • Тип транспорта: CAR
  • Тип кузова: SEDAN
  • Цвет: Gray
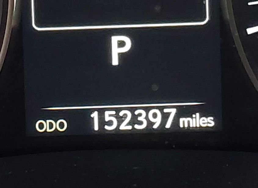
  • Пробег: 152397 mi
  • Технические характеристики
  • Цилиндры: 6 Cyl
  • Тип привода: Front Wheel Drive
  • Топливо: Gasoline
  • Коробка передач: Automatic
  • Состояние запуска: Run & Drive
  • Системы безопасности: Front Impact Airbag Driver;front Side Impact Airbag Driver;overhead Airbags;front Impact A
  • Пробег
  • Пробег: 152397
  • Единицы измерения: mi
  • Статус пробега: ACTUAL
  • Внешний вид
  • Цвет: Gray
  • Состояние автомобиля
  • Состояние запуска: Run & Drive
  • Проверка аукционом: Run & Drive Verified
  • Ключ: Y
  • Подушки безопасности: INTACT
  • Тип ущерба: Collision
  • Основное повреждение: Left Rear
  • Вторичное повреждение: Undercarriage
  • Повреждения (кратко): LEFT REAR
  • Информация о ставке
  • Текущая ставка: USD 0
  • Валюта: USD
  • Buy Now: 0
  • Информация о продаже
  • Тип аукциона: Preliminary Bidding
  • Дата торгов: Thu, Mar 26, 06:30am (PDT)
  • Дата торгов (raw): 2026-03-26 06:30:00.000000
  • Местоположение
  • Город: WINDER
  • Штат: GA
  • ZIP: 30680
  • Адрес: 1045 ATLANTA HWY SE
  • Площадка аукциона: Atlanta East, 1045 Atlanta Hwy Se, Winder, GA, 30680, 770-868-4544
  • Продающий филиал: Atlanta East, GA
  • Физическая площадка: Да
  • Хранение вне площадки: Нет
  • Урон
  • Повреждение: LEFT REAR
  • Первичный урон: Left Rear
  • Вторичный урон: Undercarriage
  • Тип ущерба: Collision
  • Документы
  • Штат тайтла: GA
  • Штат регистрации: Georgia
  • Тип тайтла: SALVAGE
  • Документ: GA SALVAGE
  • Финансы и аукцион
  • Рыночная стоимость: 16876
  • Оценка ремонта: 9107
  • Оценка до аварии: 16876
  • Валюта: USD
  • Текущая ставка: 0
  • Тип продажи: 1
  • Тип торгов: Preliminary Bidding
  • Торги идут: Нет
  • Продан: Нет
  • Дата и статус торгов
  • Дата аукциона: Thu, Mar 26, 06:30am (PDT)
  • Время до начала: 1 дн. 7 ч. 26 мин. 44 сек.
  • Номер лота: 0
  • Дополнительно
  • В избранном: Нет
  • Обновлено: Tue, Mar 24, 08:14pm (PDT)
Видео
360° обзор
НУЖНО БОЛЬШЕ ИНФОРМАЦИИ? Позвоните сейчас
+7 (937) 390-5551 or Whatsapp Telegram Viber