2014 MERCEDES-BENZ C 250 SPORT

Текущая ставка: Нет ставки
Лот #991756939
  • Основные характеристики
  • Лот: 991756939
  • Сток номер: 44478307
  • Название лота: 2014 MERCEDES-BENZ C 250 SPORT
  • Год: 2014
  • Марка: MERCEDES-BENZ
  • Модель: C 250
  • Комплектация: SPORT
  • VIN: WDDGF4HB4EA960956
  • Тип транспорта: CAR
  • Тип кузова: SEDAN
  • Цвет: White
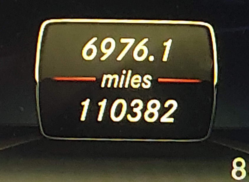
  • Пробег: 110382 mi
  • Технические характеристики
  • Цилиндры: 4 Cyl
  • Тип привода: Rear Wheel Drive
  • Топливо: Gasoline
  • Коробка передач: Automatic
  • Состояние запуска: Stationary
  • Системы безопасности: Front Impact Airbag Driver;front Side Impact Airbag Driver;overhead Airbags;front Impact A
  • Пробег
  • Пробег: 110382
  • Единицы измерения: mi
  • Статус пробега: ACTUAL
  • Внешний вид
  • Цвет: White
  • Состояние автомобиля
  • Состояние запуска: Stationary
  • Проверка аукционом: NOT SPECIFIED
  • Ключ: Y
  • Подушки безопасности: DEPLOYED
  • Тип ущерба: Collision
  • Основное повреждение: Front & Rear
  • Повреждения (кратко): FRONT & REAR
  • Информация о ставке
  • Текущая ставка: USD 0
  • Валюта: USD
  • Информация о продаже
  • Тип аукциона: Preliminary Bidding
  • Дата торгов: Tue, Mar 24, 09:30am (PDT)
  • Дата торгов (raw): 2026-03-24 09:30:00.000000
  • Местоположение
  • Город: PHOENIX
  • Штат: AZ
  • ZIP: 85041
  • Адрес: 2299 W BROADWAY RD
  • Площадка аукциона: Phoenix, 2299 W Broadway Rd, Phoenix, AZ, 85041, 602-305-5300
  • Продающий филиал: Phoenix, AZ
  • Физическая площадка: Да
  • Хранение вне площадки: Нет
  • Урон
  • Повреждение: FRONT & REAR
  • Первичный урон: Front & Rear
  • Тип ущерба: Collision
  • Документы
  • Штат тайтла: AZ
  • Штат регистрации: Arizona
  • Тип тайтла: SALVAGE
  • Документ: AZ SALVAGE
  • Финансы и аукцион
  • Рыночная стоимость: 8592
  • Оценка до аварии: 8592
  • Валюта: USD
  • Текущая ставка: 0
  • Тип продажи: 1
  • Тип торгов: Preliminary Bidding
  • Торги идут: Нет
  • Продан: Нет
  • Дата и статус торгов
  • Дата аукциона: Tue, Mar 24, 09:30am (PDT)
  • Время до начала: 4 дн. 2 ч. 56 мин. 25 сек.
  • Дополнительно
  • В избранном: Нет
  • Обновлено: Fri, Mar 20, 05:49am (PDT)
360° обзор
НУЖНО БОЛЬШЕ ИНФОРМАЦИИ? Позвоните сейчас
+7 (937) 390-5551 or Whatsapp Telegram Viber