Продан
IAAI lot #43945983
2014 Gmc Sierra 1500 5.3L
VIN: 3GTU2WEC7EG474158 · Kansas City, KS, 66111 · MO Salvage
Фотографии
Основные данные
Повреждение
Right Side
Тип кузова
Crew Cab
Топливо
Gas
Привод
Four Wheel Drive
Коробка
Automatic
Подушки
Intact
Ключи
Y
Продавец
******
Основное
Лот
43 945 983
Сток номер
43 945 983
Название
2014 Gmc Sierra 1500 5.3L
Год
2 014
Марка
Gmc
Модель
Sierra 1500
Комплектация
DENALI
VIN
3GTU2WEC7EG474158
Тип транспорта
Truck
Тип кузова
Crew Cab
Цвет кузова
White
Цвет салона
Black
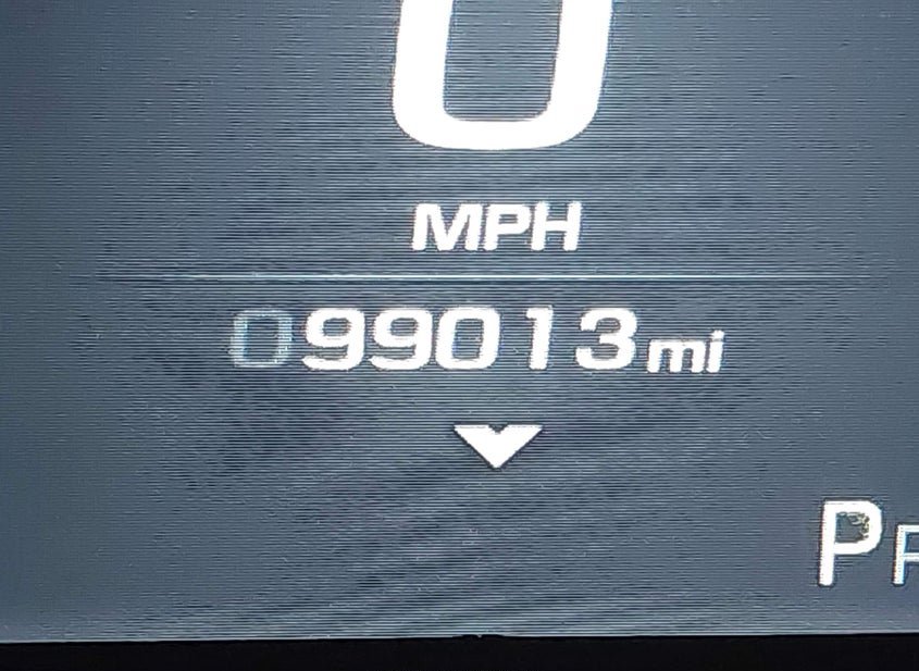
Пробег
99 013 mi
Статус пробега
Actual
Аукцион и ставки
Статус
Продан
Тип аукциона
Preliminary Bidding
Тип продажи
1
Дата торгов
Wed, Apr 22, 07:30am (PDT)
Осталось времени
7 ч. 36 мин. 18 сек.
Текущая ставка
5 700 USD
Розничная цена
20 803 USD
Оценка ремонта
0 USD
ACV
20 803 USD
Линия
A
Номер позиции
247
Состояние и повреждения
Повреждение
Right Side
Основное повреждение
Right Side
Тип ущерба
Collision
Состояние запуска
Run & Drive Verified
Проверка аукционом
NOT SPECIFIED
Подушки безопасности
Intact
Ключи
Y
Документы
Штат тайтла
Missouri
Тип тайтла
Salvage
Документ
MO Salvage
Технические характеристики
Двигатель
5.3L V-8 DI, VVT, 355HP
Цилиндры
8
Трансмиссия
Automatic
Привод
Four Wheel Drive
Топливо
Gas
Класс транспорта
Truck
Серия
Denali
Тип кузова по VIN
Crew Cab
Локация и площадка
Город
Kansas City
Штат
KS
ZIP
66111
Адрес
2663 S. 88th St.
Площадка аукциона
Kansas City, 2663 S. 88th St., Kansas City, KS, 66111
Продающий филиал
Kansas City, KS
Физическая площадка
Да
Хранение вне площадки
Нет
Дополнительно
В избранном
Нет
Обновлено
Wed, Apr 22, 02:30pm (PDT)