Продан
IAAI lot #44385561
2019 Hyundai Kona 2.0L
VIN: KM8K6CAA2KU318645 · Woodburn, OR, 97071 · OR Salvage
Фотографии
Основные данные
Повреждение
Front End
Тип кузова
Sport Utility
Топливо
Gas
Привод
All Wheel Drive
Коробка
Automatic
Подушки
Intact
Ключи
Y
Продавец
******
Основное
Лот
44 385 561
Сток номер
44 385 561
Название
2019 Hyundai Kona 2.0L
Год
2 019
Марка
Hyundai
Модель
Kona
Комплектация
SEL
VIN
KM8K6CAA2KU318645
Тип транспорта
Truck
Тип кузова
Sport Utility
Цвет кузова
Grey
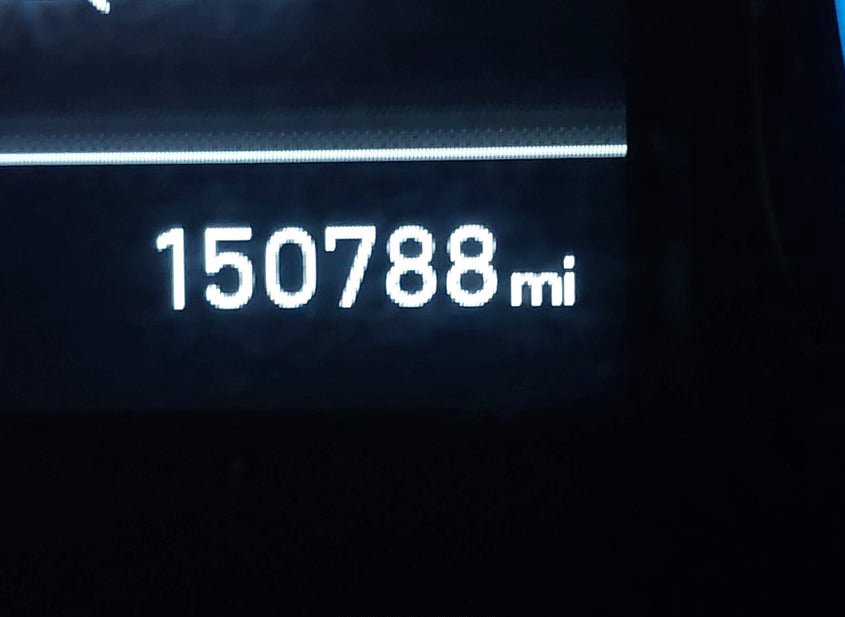
Пробег
150 788 mi
Статус пробега
Not Actual
Аукцион и ставки
Статус
Продан
Тип аукциона
Preliminary Bidding
Тип продажи
1
Дата торгов
Tue, Apr 21, 09:30am (PDT)
Осталось времени
5 ч. 41 мин. 47 сек.
Текущая ставка
1 350 USD
Розничная цена
11 749 USD
Оценка ремонта
0 USD
ACV
11 749 USD
Линия
B
Номер позиции
21
Состояние и повреждения
Повреждение
Front End
Основное повреждение
Front End
Вторичное повреждение
None
Тип ущерба
Collision
Состояние запуска
Run & Drive Verified
Проверка аукционом
NOT SPECIFIED
Подушки безопасности
Intact
Ключи
Y
Документы
Штат тайтла
Oregon
Тип тайтла
Salvage
Документ
OR Salvage
Технические характеристики
Двигатель
2.0L I-4 DOHC, VVT, 147HP
Цилиндры
4
Трансмиссия
Automatic
Привод
All Wheel Drive
Топливо
Gas
Класс транспорта
SUV/Crossover
Серия
Sel
Тип кузова по VIN
Sport Utility
Локация и площадка
Город
Woodburn
Штат
OR
ZIP
97071
Адрес
605 S. Pacific Hwy
Площадка аукциона
Portland South, 605 S. Pacific Hwy, Woodburn, OR, 97071
Продающий филиал
Portland South, OR
Физическая площадка
Да
Хранение вне площадки
Нет
Дополнительно
В избранном
Нет
Обновлено
Tue, Apr 21, 02:24pm (PDT)