Продан
IAAI lot #44604705
2017 Gmc Acadia 3.6L
VIN: 1GKKNULS1HZ286435 · Monticello, NY, 12701 · NY Mv-907A
Фотографии
Основные данные
Повреждение
Front End
Тип кузова
Sport Utility
Топливо
Gas
Привод
All Wheel Drive
Коробка
Automatic
Подушки
Intact
Ключи
Y
Продавец
******
Основное
Лот
44 604 705
Сток номер
44 604 705
Название
2017 Gmc Acadia 3.6L
Год
2 017
Марка
Gmc
Модель
Acadia
Комплектация
SLT-1
VIN
1GKKNULS1HZ286435
Тип транспорта
Truck
Тип кузова
Sport Utility
Цвет кузова
Black
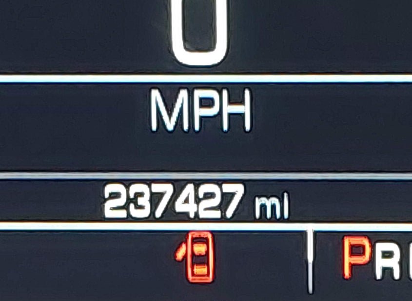
Пробег
237 427 mi
Статус пробега
Actual
Аукцион и ставки
Статус
Продан
Тип аукциона
Preliminary Bidding
Тип продажи
1
Дата торгов
Thu, Apr 23, 06:30am (PDT)
Осталось времени
14 ч. 39 мин. 1 сек.
Текущая ставка
25 USD
Розничная цена
9 784 USD
Оценка ремонта
0 USD
ACV
9 784 USD
Линия
A
Номер позиции
12
Состояние и повреждения
Повреждение
Front End
Основное повреждение
Front End
Вторичное повреждение
Front End
Тип ущерба
Collision
Состояние запуска
Run & Drive Verified
Проверка аукционом
NOT SPECIFIED
Подушки безопасности
Intact
Ключи
Y
Документы
Штат тайтла
New York
Тип тайтла
Mv-907A
Документ
NY Mv-907A
Технические характеристики
Двигатель
3.6L V-6 DI, DOHC, VVT, 310HP
Цилиндры
6
Трансмиссия
Automatic
Привод
All Wheel Drive
Топливо
Gas
Класс транспорта
SUV/Crossover
Серия
Slt-1
Тип кузова по VIN
Sport Utility
Локация и площадка
Город
Monticello
Штат
NY
ZIP
12701
Адрес
65 Kaufman Rd
Площадка аукциона
Monticello, 65 Kaufman Rd, Monticello, NY, 12701
Продающий филиал
Monticello, NY
Физическая площадка
Да
Хранение вне площадки
Да
Дополнительно
В избранном
Нет
Обновлено
Wed, Apr 22, 02:29pm (PDT)