Продан
IAAI lot #44605106
2016 Chevrolet Silverado 1500 5.3L
VIN: 3GCUKSEC3GG341635 · Scott, AR, 72142 · AR Clear
Фотографии
Основные данные
Повреждение
Front End
Тип кузова
Crew Cab
Топливо
Gas
Привод
Four Wheel Drive
Коробка
Automatic
Подушки
Deployed
Ключи
Y
Продавец
******
Основное
Лот
44 605 106
Сток номер
44 605 106
Название
2016 Chevrolet Silverado 1500 5.3L
Год
2 016
Марка
Chevrolet
Модель
Silverado 1500
Комплектация
2LZ
VIN
3GCUKSEC3GG341635
Тип транспорта
Truck
Тип кузова
Crew Cab
Цвет кузова
Silver
Цвет салона
Grey
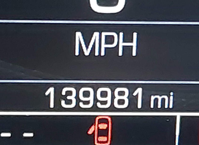
Пробег
139 981 mi
Статус пробега
Actual
Аукцион и ставки
Статус
Продан
Тип аукциона
Preliminary Bidding
Тип продажи
1
Дата торгов
Wed, Apr 22, 07:30am (PDT)
Осталось времени
8 ч. 42 мин. 27 сек.
Текущая ставка
8 600 USD
Розничная цена
19 843 USD
Оценка ремонта
0 USD
ACV
19 843 USD
Линия
A
Номер позиции
10
Состояние и повреждения
Повреждение
Front End
Основное повреждение
Front End
Тип ущерба
Collision
Состояние запуска
Run & Drive Verified
Проверка аукционом
NOT SPECIFIED
Подушки безопасности
Deployed
Ключи
Y
Документы
Штат тайтла
Arkansas
Тип тайтла
Clear
Документ
AR Clear
Технические характеристики
Двигатель
5.3L V-8 DI, VVT, 355HP
Цилиндры
8
Трансмиссия
Automatic
Привод
Four Wheel Drive
Топливо
Gas
Класс транспорта
Truck
Серия
2lz
Тип кузова по VIN
Crew Cab
Локация и площадка
Город
Scott
Штат
AR
ZIP
72142
Адрес
4900 S. Kerr Rd.
Площадка аукциона
Little Rock, 4900 S. Kerr Rd., Scott, AR, 72142
Продающий филиал
Little Rock, AR
Физическая площадка
Да
Хранение вне площадки
Нет
Дополнительно
В избранном
Нет
Обновлено
Wed, Apr 22, 02:28pm (PDT)