Продан
IAAI lot #44605898
2017 CHEVROLET MALIBU 1LT
VIN: 1G1ZE5ST8HF143082 · SPRINGFIELD, NE, 68059 · NE CERTIFICATE OF TITLE
Фотографии
Основные данные
Повреждение
REAR
Тип кузова
SEDAN
Топливо
Gasoline
Привод
Front Wheel Drive
Коробка
Automatic
Подушки
INTACT
Ключи
Y
Продавец
******
Основное
Лот
44 605 898
Сток номер
44 605 898
Название
2017 CHEVROLET MALIBU 1LT
Год
2 017
Марка
CHEVROLET
Модель
MALIBU
Комплектация
1LT
VIN
1G1ZE5ST8HF143082
Тип транспорта
CAR
Тип кузова
SEDAN
Цвет кузова
Black
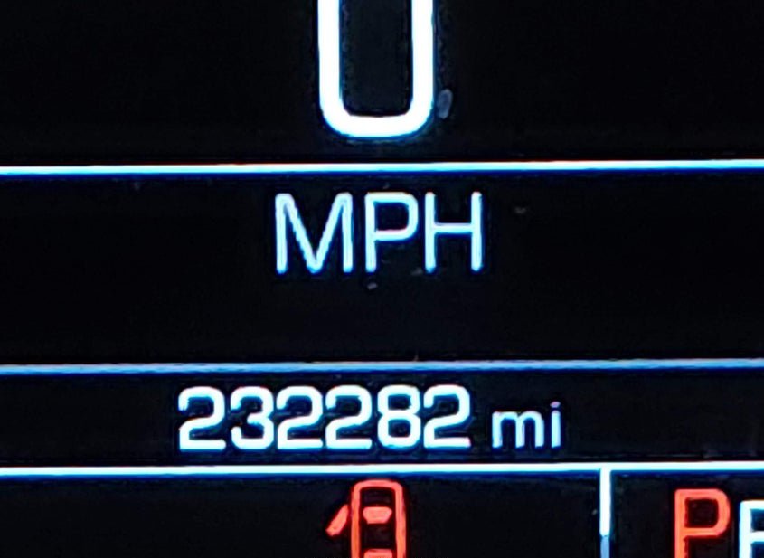
Пробег
232 282 mi
Статус пробега
ACTUAL
Аукцион и ставки
Статус
Продан
Тип аукциона
Preliminary Bidding
Тип продажи
1
Дата торгов
Thu, Apr 16, 07:30am (PDT)
Осталось времени
16 ч. 41 мин. 7 сек.
Текущая ставка
0 USD
Buy It Now
0 USD
Розничная цена
7 513 USD
Оценка ремонта
7 513 USD
ACV
7 513 USD
Линия
B
Номер позиции
83
Состояние и повреждения
Повреждение
REAR
Основное повреждение
Rear
Вторичное повреждение
Front End
Тип ущерба
Collision
Состояние запуска
Run & Drive
Проверка аукционом
Run & Drive Verified
Подушки безопасности
INTACT
Ключи
Y
Документы
Штат тайтла
Nebraska
Тип тайтла
CERTIFICATE OF TITLE
Документ
NE CERTIFICATE OF TITLE
Технические характеристики
Двигатель
1.5L I-4 DI, DOHC, VVT, turbo, 160HP
Цилиндры
4 Cyl
Трансмиссия
Automatic
Привод
Front Wheel Drive
Топливо
Gasoline
Серия
1LT
Тип кузова по VIN
Sedan
Локация и площадка
Город
SPRINGFIELD
Штат
NE
ZIP
68059
Адрес
14749 MEREDYTHE PLZ
Площадка аукциона
Omaha, 14749 Meredythe Plz, Springfield, NE, 68059, 402-733-2424
Продающий филиал
Omaha, NE
Физическая площадка
Да
Хранение вне площадки
Нет
Дополнительно
В избранном
Нет
Доп. информация
{"Navigation":"PRESENT","KeyFob":"PRESENT","Stored":"Offsite"}
Обновлено
Thu, Apr 16, 08:07pm (PDT)