Продан
IAAI lot #44671312
2021 Toyota Highlander 3.5L
VIN: 5TDLZRBH3MS057676 · Dale, TX, 78616 · TX Salvage
Фотографии
Основные данные
Повреждение
Front End
Тип кузова
Sport Utility
Топливо
Gas
Привод
All Wheel Drive
Коробка
Automatic
Подушки
Intact
Ключи
Y
Продавец
******
Основное
Лот
44 671 312
Сток номер
44 671 312
Название
2021 Toyota Highlander 3.5L
Год
2 021
Марка
Toyota
Модель
Highlander
Комплектация
XSE
VIN
5TDLZRBH3MS057676
Тип транспорта
Truck
Тип кузова
Sport Utility
Цвет кузова
Burgundy
Цвет салона
Black
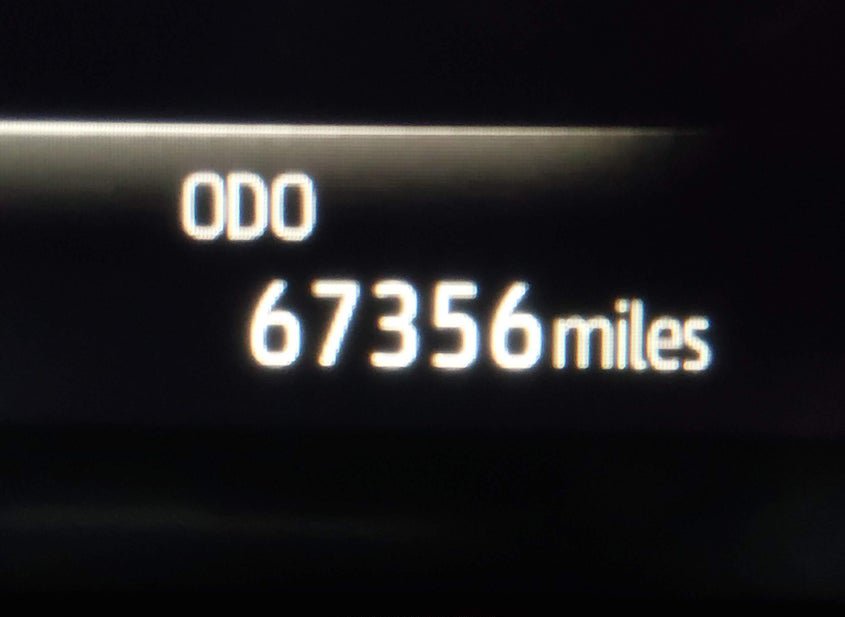
Пробег
67 356 mi
Статус пробега
Actual
Аукцион и ставки
Статус
Продан
Тип аукциона
Preliminary Bidding
Тип продажи
1
Дата торгов
Tue, Apr 21, 07:30am (PDT)
Осталось времени
1 дн. 3 ч. 53 мин. 26 сек.
Текущая ставка
11 400 USD
Розничная цена
26 493 USD
Оценка ремонта
0 USD
ACV
26 493 USD
Линия
A
Номер позиции
14
Состояние и повреждения
Повреждение
Front End
Основное повреждение
Front End
Вторичное повреждение
Rear End
Тип ущерба
Collision
Состояние запуска
Run & Drive Verified
Проверка аукционом
NOT SPECIFIED
Подушки безопасности
Intact
Ключи
Y
Документы
Штат тайтла
Texas
Тип тайтла
Salvage
Документ
TX Salvage
Технические характеристики
Двигатель
3.5L V-6 DI, DOHC, VVT, 295HP
Цилиндры
6
Трансмиссия
Automatic
Привод
All Wheel Drive
Топливо
Gas
Класс транспорта
SUV/Crossover
Серия
Xse
Тип кузова по VIN
Sport Utility
Локация и площадка
Город
Dale
Штат
TX
ZIP
78616
Адрес
2191 Highway 21 West
Площадка аукциона
Austin, 2191 Highway 21 West, Dale, TX, 78616
Продающий филиал
Austin, TX
Физическая площадка
Да
Хранение вне площадки
Нет
Дополнительно
В избранном
Нет
Обновлено
Tue, Apr 21, 08:25pm (PDT)