Продан
IAAI lot #44676341
2017 FORD ESCAPE SE
VIN: 1FMCU9GD4HUD02082 · ENGLISHTOWN, NJ, 07726 · NJ SALVAGE
Фотографии
Основные данные
Повреждение
RIGHT SIDE
Тип кузова
SPORT UTILITY
Топливо
Gasoline
Привод
Four Wheel Drive
Коробка
Automatic
Подушки
INTACT
Ключи
Y
Продавец
******
Основное
Лот
44 676 341
Сток номер
44 676 341
Название
2017 FORD ESCAPE SE
Год
2 017
Марка
FORD
Модель
ESCAPE
Комплектация
SE
VIN
1FMCU9GD4HUD02082
Тип транспорта
SUV
Тип кузова
SPORT UTILITY
Цвет кузова
Red
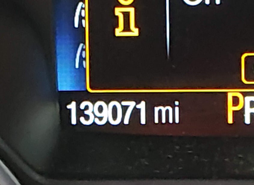
Пробег
139 071 mi
Статус пробега
ACTUAL
Аукцион и ставки
Статус
Продан
Тип аукциона
Preliminary Bidding
Тип продажи
1
Дата торгов
Mon, Apr 20, 06:30am (PDT)
Осталось времени
8 ч. 28 мин. 28 сек.
Текущая ставка
0 USD
Розничная цена
8 014 USD
Оценка ремонта
8 014 USD
ACV
8 014 USD
Линия
C
Номер позиции
162
Состояние и повреждения
Повреждение
RIGHT SIDE
Основное повреждение
Right Side
Тип ущерба
Collision
Состояние запуска
Run & Drive
Проверка аукционом
Run & Drive Verified
Подушки безопасности
INTACT
Ключи
Y
Документы
Штат тайтла
New Jersey
Тип тайтла
SALVAGE
Документ
NJ SALVAGE
Технические характеристики
Двигатель
1.5L I-4 DI, DOHC, VVT, turbo, 179HP
Цилиндры
4 Cyl
Трансмиссия
Automatic
Привод
Four Wheel Drive
Топливо
Gasoline
Серия
SE
Тип кузова по VIN
Sport Utility
Локация и площадка
Город
ENGLISHTOWN
Штат
NJ
ZIP
07726
Адрес
230 PENSION RD
Площадка аукциона
Englishtown, 230 Pension Rd, Englishtown, NJ, 07726, 732-634-5601
Продающий филиал
Englishtown, NJ
Физическая площадка
Да
Хранение вне площадки
Нет
Дополнительно
В избранном
Нет
Доп. информация
{"Navigation":"PRESENT","KeyFob":"PRESENT","Stored":"Offsite"}
Обновлено
Sun, Apr 19, 08:07pm (PDT)