Продан
IAAI lot #44677438
2024 HONDA ACCORD EX
VIN: 1HGCY1F38RA002035 · WEST CHESTER, OH, 45069 · OH SALVAGE
Фотографии
Основные данные
Повреждение
FRONT END
Тип кузова
SEDAN
Топливо
Gasoline
Привод
Front Wheel Drive
Коробка
Automatic
Подушки
DEPLOYED
Ключи
Y
Продавец
******
Основное
Лот
44 677 438
Сток номер
44 677 438
Название
2024 HONDA ACCORD EX
Год
2 024
Марка
HONDA
Модель
ACCORD
Комплектация
EX
VIN
1HGCY1F38RA002035
Тип транспорта
CAR
Тип кузова
SEDAN
Цвет кузова
White
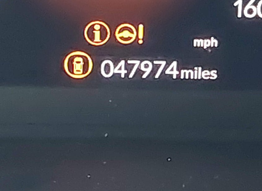
Пробег
47 974 mi
Статус пробега
ACTUAL
Аукцион и ставки
Статус
Продан
Тип аукциона
Preliminary Bidding
Тип продажи
1
Дата торгов
Thu, Apr 16, 06:30am (PDT)
Осталось времени
1 дн. 11 ч. 17 мин. 59 сек.
Текущая ставка
6 900 USD
Розничная цена
22 973 USD
Оценка ремонта
22 973 USD
ACV
22 973 USD
Линия
B
Номер позиции
207
Состояние и повреждения
Повреждение
FRONT END
Основное повреждение
Front End
Тип ущерба
Collision
Состояние запуска
Stationary
Проверка аукционом
NOT SPECIFIED
Подушки безопасности
DEPLOYED
Ключи
Y
Документы
Штат тайтла
Ohio
Тип тайтла
SALVAGE
Документ
OH SALVAGE
Технические характеристики
Двигатель
1.5L I-4 DI, DOHC, VVT, turbo, 192HP
Цилиндры
4 Cyl
Трансмиссия
Automatic
Привод
Front Wheel Drive
Топливо
Gasoline
Серия
EX
Тип кузова по VIN
Sedan
Локация и площадка
Город
WEST CHESTER
Штат
OH
ZIP
45069
Адрес
10100 WINDISCH RD
Площадка аукциона
Cincinnati, 10100 Windisch Rd, West Chester, OH, 45069, 513-779-0075
Продающий филиал
Cincinnati, OH
Физическая площадка
Да
Хранение вне площадки
Нет
Дополнительно
В избранном
Нет
Доп. информация
{"Navigation":"PRESENT","KeyFob":"PRESENT","Stored":"Offsite"}
Обновлено
Thu, Apr 16, 08:19pm (PDT)