Продан
IAAI lot #44780398
2018 CHEVROLET MALIBU LT
VIN: 1G1ZD5ST3JF210597 · BELLEVILLE, MI, 48111 · MI CLEAR
Фотографии
Основные данные
Повреждение
FRONT END
Тип кузова
SEDAN
Топливо
Gasoline
Привод
Front Wheel Drive
Коробка
Automatic
Подушки
INTACT
Ключи
Y
Продавец
******
Основное
Лот
44 780 398
Сток номер
44 780 398
Название
2018 CHEVROLET MALIBU LT
Год
2 018
Марка
CHEVROLET
Модель
MALIBU
Комплектация
LT
VIN
1G1ZD5ST3JF210597
Тип транспорта
CAR
Тип кузова
SEDAN
Цвет кузова
Gray
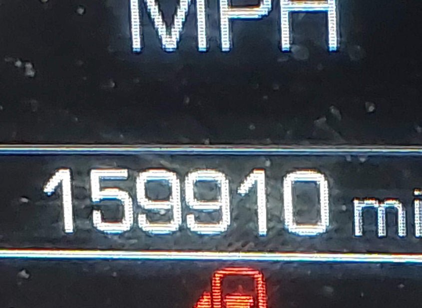
Пробег
159 910 mi
Статус пробега
ACTUAL
Аукцион и ставки
Статус
Продан
Тип аукциона
Buy It Now / Preliminary Bidding
Тип продажи
2
Дата торгов
Thu, Apr 23, 06:30am (PDT)
Осталось времени
6 дн. 2 ч. 51 мин. 57 сек.
Текущая ставка
0 USD
Buy It Now
1 825 USD
Розничная цена
6 250 USD
ACV
6 250 USD
Состояние и повреждения
Повреждение
FRONT END
Основное повреждение
Front End
Вторичное повреждение
Left Side
Тип ущерба
Other
Состояние запуска
Run & Drive
Проверка аукционом
Run & Drive Verified
Подушки безопасности
INTACT
Ключи
Y
Документы
Штат тайтла
Michigan
Тип тайтла
CLEAR
Документ
MI CLEAR
Технические характеристики
Двигатель
1.5L I-4 DI, DOHC, VVT, turbo, 160HP
Цилиндры
4 Cyl
Трансмиссия
Automatic
Привод
Front Wheel Drive
Топливо
Gasoline
Серия
LT
Тип кузова по VIN
Sedan
Локация и площадка
Город
BELLEVILLE
Штат
MI
ZIP
48111
Адрес
8251 RAWSONVILLE RD
Площадка аукциона
Detroit, 8251 Rawsonville Rd, Belleville, MI, 48111, 734-461-9441
Продающий филиал
Detroit, MI
Физическая площадка
Да
Хранение вне площадки
Нет
Дополнительно
В избранном
Нет
Доп. информация
{"StockHash":"44780398","SellingBranch":"DETROIT (MI)","VINStatus":"1G1ZD5ST3JF210597 (OK)","VehicleScore":"28","Vehicle":"AUTOMOBILE","VehiclesVehicleLocation":"AT THE BRANCH","AuctionDateTime":"4/23/2026 1:30:00 PM +00:00","Lane":"AVAILABLE TWO DAYS BEFORE SALE","Aisle":"AVAILABLE TWO DAYS BEFORE SALE"}
Обновлено
Fri, Apr 17, 03:36am (PDT)